2020
Census Local Update of Census Addresses Operation (LUCA)
Respondent
Guide Digital
Address List Format
Instructions for Using the
Geographic Update Partnership Software (GUPS)
U.S. Department of Commerce
Economic and Statistics
Administration
U.S. CENSUS BUREAU
census.gov
This Page Intentionally Left Blank
Table of Contents
U.S.
Department of Commerce Economics
and Statistics Administration
U.S.
CENSUS BUREAU
census.gov
Paperwork Reduction Act Statement vii
Introduction to the 2020 Census Local Update of Census Addresses Operation viii
C. Training and Technical Support ix
Chapter 1. Before You Begin Your Review 1
1.1 The Census Bureau’s Master Address File 1
1.2 The Topologically Integrated Geographic Encoding and Referencing Database 1
1.4 What are Group Quarters? 2
1.5 Unacceptable Types of Housing Units and Group Quarters 3
1.11 Strategies for Reviewing the Census Bureau’s Address List 6
Chapter 2. The LUCA Digital Address Materials 7
2.1 Protecting Census Bureau Address Information 7
2.2 File Names for State and County Governments 8
Chapter 3. The LUCA Paper Maps 26
3.1 Understanding a Large Format LUCA Paper Map 26
3.2 The Census Bureau PDF Maps 31
Chapter 4. Reviewing and Updating the Address List and Paper Maps 47
4.2 Non-city Style Addresses 67
4.3 Ungeocoded Addresses—States and Counties Only 73
4.4 Transitory Location Addresses 74
4.5 Saving the Census Address List File 77
Chapter 5. TIGER Partnership Shapefiles 78
5.2 Preparing Your Edited Shapefile for Submission 88
Chapter 6. Generating Structure points with ArcGIS 90
6.1 Using ArcGIS to Generate Structure Points from the Digital Address List 90
Chapter 7. Submitting Your Updated Materials 96
7.1 Preparing the Address List for Submission 96
7.2 Sorting the Paper Maps for Submission 97
7.3 Preparing the Shapefiles for Submission 97
7.4 Completing the D-2011 Inventory Form for the Return/Submission of Materials 98
7.5 Shipping Your Title 13 LUCA Materials 98
7.6 LUCA Secure Web Incoming Module (SWIM) Submission 99
Appendix A Confidentiality and Security Guidelines A-1
A3 The Confidentiality Agreement A-2
Appendix B The Large Format Paper Map Legend B-1
Appendix C The PDF Small Format Block Map Legend C-1
Appendix D Physical Location Description and Street Type Abbreviation Examples D-1
Appendix E Unit Designation Abbreviation Examples E-1
Appendix F Confidentiality Agreement Form F-1
Appendix G Inventory Form for the Return or Submission of LUCA Materials G-1
Appendix H Destruction or Return of Title 13 Materials Form H-1
Appendix I Contact Information Update Form I-1
Appendix J MAF/TIGER Feature Classification J-1
Appendix K Shapefile Names K-1
Tables
Table 2: Entity Identification Codes 9
Table 3: Digital Address List Record Layout 22
Table 4: Digital Address Count List Record Layout 25
Table 5: Entity Type and Entity Code 32
Table 6: Edges Shapefile Data Dictionary 80
Table 7: Change Type Codes for Feature Corrections 80
Table 9: Physical Location and Street Type Abbreviations D-1
Table 10: Unit Designation Abbreviations E-1
Table 11: MAF/TIGER Feature Classification J-1
Table 12: State Shapefiles Names K-1
Table 13: County Shapefiles Names K-2
Table 14: Edges Shapefile (PVS_17_v2_edges) L-1
Table 15: Address Ranges Attribute File (PVS_17_v2_addr) L-2
Table 16: Census Block Shapefile (PVS_17_v2_tabblock2010) L-3
Table 17: Census Tract Shapefile (PVS_17_v2_curtracts) L-4
Table 18: American Indian Areas Shapefile (PVS_17_v2_aial) L-5
Table 19: County and Equivalent Areas Shapefile (PVS_17_v2_county) L-6
Table 20: County Subdivisions Shapefile (PVS_17_v2_mcd) L-7
Table 21: Incorporated Place Shapefile (PVS_17_v2_place) L-8
Figures
Figure 5. Command Prompt Screen 14
Figure 6. Extracted Address List 15
Figure 8. Copied File Screen 15
Figure 9. Command Prompt Screen 16
Figure 10. Address Count List and Digital Maps Folders 16
Figure 11. Importing a File in Excel 17
Figure 12. Selecting the Address List File 17
Figure 13. Text Import Wizard Step 1 18
Figure 14. Text Import Wizard Step 2 18
Figure 15. Text Import Wizard Step 3 19
Figure 16. Boundary Improvements 28
Figure 17. LUCA Large Format Parent Sheet Paper Map 29
Figure 18. LUCA Block to Map Sheet Relationship List 30
Figure 20. “maps” Extracted Files 32
Figure 21. Boundary Improvements 33
Figure 22. The Block to Map Sheet Relationship File 33
Figure 23. Example of the Digital Block to Map Sheet Relationship List Opened in Wordpad 34
Figure 24. Importing a File in Excel 34
Figure 25. Text Import Wizard Step 1 35
Figure 26. Text Import Wizard Step 2 35
Figure 27. Text Import Wizard Step 3 36
Figure 28. Entity Index Map 37
Figure 32. Image Magnification 38
Figure 34. Parent Sheet Zoomed In 39
Figure 35. Command Prompt Screen 40
Figure 36. List of Files for the Title13 Block Maps 40
Figure 37. Page 1 Showing Two Sheets Required to Display One Block (1000) 42
Figure 39. Landscape Map Image Example (Training—Fictitious Information) 43
Figure 40. Inset Map (Training—Fictitious Information) 44
Figure 41. Printing Small Format Block Maps (Training—Fictitious Information) 45
Figure 42. Advance Printing 45
Figure 44. PDF Block Map Example (Training—Fictitious Information) 46
Figure 45. Example Address Ranges and Address Breaks (Training—Fictitious Information) 48
Figure 46. Adding a New Street on the Small Format Paper Map (Training—Fictitious Information) 49
Figure 61. Digitizing a New/Missing Street 83
Figure 62. Map and Attribute Table for Adding a New/Missing Street 83
Figure 63. Map and Attribute Table for Correcting a Street Name 84
Figure 64. Attribute Table for Correcting MTFCC 85
Figure 65. Attribute Table for Deleting a Road Feature 85
Figure 66. Incorrect Location of a Street 86
Figure 67. Map and Attribute Table for Correcting the Location of a Street 87
Figure 68. Summary of Actions 87
Figure 69. Export Data Selection 88
Figure 71. Edited Road Features for Submission 89
Figure 72. Selecting Layers in ArcGIS 90
Figure 73. Add Address Data 91
Figure 76. Selecting NAD 1983 92
Figure 77. Display XY Data Screen 93
Figure 79. “Events” Shapefile 94
Figure 80. Export Data Confirmation 94
Figure 81. Corresponding Address and Map Spot Highlighted 95
Figure 82. Mailing Envelopes 99
A federal agency may not conduct or sponsor, nor shall a person be subject to a penalty for failure to comply with a collection of information subject to the requirements of the Paperwork Reduction Act unless that collection of information displays a current valid OMB Control Number. This collection is voluntary. The authority for conducting this collection comes from Title 13 U.S.C., Chapter 1, Subchapter 1, Section 16.
The OMB Control Number for this information collection is 0607-0994. Public reporting for this collection of information is estimated to be approximately 21 hours per response, including the time for reviewing instructions, completing and reviewing the collection of information.
Comments concerning the accuracy of this burden and suggestions for reducing the burden should be directed to:
Paperwork Reduction 0607-0994
United States Census Bureau
4600 Silver Hill Road
Room 4H177
Washington, DC 20233
The Census Bureau issued a Federal Register Notice to revise its confidentiality pledge language to address the new cybersecurity screening requirements:
Per the Federal Cybersecurity Enhancement Act of 2015, your data are protected from cybersecurity risks through screening of the systems that transmit your data.
The Local Update of Census Addresses Operation (LUCA) is a voluntary decennial census operation. LUCA is the only opportunity prior to the 2020 Census for tribal, state, and local governments (including the District of Columbia and Puerto Rico) to review and update the Census Bureau’s residential address list for their jurisdiction. The Census Bureau relies on a complete and accurate address list to reach every living quarters and associated population for inclusion in the census. The Census Address List Improvement Act of 1994 (Public Law 103-430) authorizes the LUCA operation. Refer to < https://www.census.gov/geo/partnerships/luca-pl-103-430.html > for more information.
Title 13, United States Code (U.S.C.), provides for the confidential treatment of address information and structure points showing the location of housing units or group quarters. For more information about Title 13, U.S.C., please refer to <https://www.census.gov/history/www/reference/privacy_confidentiality/title_13_us_code.html>. Signed confidentiality agreements and restrictions are required to participate in LUCA. See Appendix A, Confidentiality and Security Guidelines or refer to <www.census.gov/geo/partnerships/luca.html>.
The Census Bureau’s LUCA responsibilities include:
Provide training to LUCA participants.
Provide the necessary materials to participants.
Provide assistance.
Process updates submitted by LUCA participants.
Review and validate LUCA submissions.
Provide feedback materials for participant review.
Provide assistance for participants to resolve any address discrepancies.
Provide for a formal appeal of disputed addresses by an independent federal agency outside of the Census Bureau and the Department of Commerce.
The LUCA participant responsibilities include:
Select your LUCA liaison and reviewers. The Census Bureau suggests that individuals in your jurisdiction involved in zoning enforcement not work on this operation since this may create a conflict of interest.
Sign and return D-2002—Registration Form.
Read, understand, and agree to abide by D-2004—Confidentiality and Security Guidelines including all liaisons, reviewers, and anyone with access to Title 13, U.S.C. materials (See Appendix A for the terms of the Confidentiality and Security Guidelines).
Sign and return to the Census Bureau D-2005—Confidentiality Agreement Form including the signature of all liaisons, reviewers, and anyone with access to Title 13 materials.
Complete and return the D-2006—Self-Assessment Checklist.
Complete and return the D-2003—Product Preference Form.
Ensure that everyone working on LUCA understands the procedures for participating in the operation and Census Bureau terminology and concepts.
Keep Census Bureau addresses and maps showing structure points1 (housing units and group quarters locations) confidential and ensure they are used only for census purposes.
Ensure the receipt of all required materials for the LUCA review.
Prepare a strategy to conduct the review of LUCA materials.
Complete your address list review and return your updated materials to the Census Bureau within 120 calendar days of receiving your LUCA materials.
Review the Census Bureau’s detailed feedback materials.
Appeal address discrepancies to the LUCA Appeals Office.
Destroy (preferred method) or return all Title 13 materials to the Census Bureau after the appeal process is complete.
Sign and date the D-2012—Destruction or Return of Title 13, U.S.C. Materials Form.
For your convenience, several forms are included in the Appendix and are available on the LUCA Web site at <http://www.census.gov/geo/partnerships/luca.html>. These forms include:
D-2001—Contact Information Update Form—if you need to update LUCA contact information, complete and return this form.
D-2004—Confidentiality and Security Guidelines—provides a detailed explanation for protecting and safeguarding the confidential Census Bureau materials covered by Title 13, United States Code (U.S.C.).
D-2005—Confidentiality Agreement Form—if your LUCA Liaison changes or to add additional reviewers complete and return this form.
D-2011—Inventory Form for the Return/Submission of Materials—return this form with your address and feature updates.
D-2012—Destruction or Return of Title 13 Materials—use this form at the conclusion of the LUCA operation to inform the Census Bureau that the LUCA liaison has destroyed or returned all Title 13 materials.
Training workshops provide instruction using the LUCA materials. In addition, self-training aids and webinars are available online at the LUCA Web site at <www.census.gov/geo/partnerships/luca.html>.
Note: If you need additional information or assistance, please call 1-844-344-0169 or email at GEO.2020.LUCA@census.gov.
Table 1: LUCA Schedule
Date |
Event |
January 2017 |
Advance notice mailed to Highest Elected Officials (HEO), Tribal Chairs (TC), and other LUCA contacts. |
March 2017 |
LUCA Promotional Workshops begin. |
July 2017 |
LUCA Invitation and Registration materials mailed to HEOs, TCs, and Governors. |
October 2017 |
LUCA Training Workshops begin. |
February-April 2018 |
Participants receive their LUCA materials. |
March-September 2018 |
Census Bureau processes LUCA submissions. |
April 2018-May 2019 |
Census Bureau validates 2020 LUCA addresses. |
June-August 2019 |
Census Bureau delivers feedback materials to participants for review. |
April 1, 2020 |
Census Day. |
Before You Begin Your Review
Chapter 1 explains some of the terms and concepts used by the Census Bureau and recommended strategies for your LUCA review. Refer to the Glossary or visit the Census Bureau’s Web site at <https://www.census.gov/geo/reference/> for additional terms and definitions.
The Master Address File (MAF) is a nationwide database of all addresses used to support many of the Census Bureau’s operations. Besides containing mailing addresses and ZIP Codes, an address record in the MAF also contains geographic information about the location of addresses. In areas where there are non-city style addresses (e.g., rural route or post office box number), the address record may contain additional information such as a location description.
Address records in the MAF link to road segments or road features in the Topologically Integrated Geographic Encoding and Referencing (TIGER) database. The TIGER database includes the geographic coordinates and names of all streets, water features, and other linear features, and boundaries for jurisdictions and statistical areas (census tracts2, census blocks3, etc.) used to tabulate decennial census data.
The Census Bureau defines a housing unit as:
A single-family house, townhouse, mobile home, trailer, apartment, group of rooms, or a single room occupied as a separate living quarters or, if vacant, intended for occupancy as a separate living quarters. Separate living quarters is one in which one or more occupants (or intended occupants, if vacant) live separate from any other individual(s) in the building and have direct access to the living quarters without going through another living quarters, such as from outside the building or through a common hall.
The following types of housing units are acceptable and should be included on the updates to the Census Bureau’s Address List that you submit:
Houses, including townhouses, condominiums, and apartments.
Living quarters within an otherwise nonresidential structure such as an apartment within a church, school, or business.
Mobile homes or trailers occupied as separate living quarters, or if vacant, intended for occupancy as separate living quarters.
Transitory location (TL) sites for movable or mobile housing, portable housing units, boats, motorized recreational vehicles (RVs), tents, and trailers that are pulled by cars or trucks. See Section 4.4.
Any housing units under construction that will be habitable (closed to the elements with final roof, windows, and doors) on Census Day, April 1, 2020.
Group Quarters (GQs) are a place where people live or stay, in a group living arrangement owned or managed by an entity or organization providing housing and/or services for the residents. This is not a typical household-type living arrangement. These services may include custodial or medical care as well as other types of assistance, and residency is commonly restricted to those receiving these services. Residents of group quarters are usually not related.
The following types of group quarters are acceptable and should be included on your updated address list:
Correctional facilities:
Federal and state prisons.
Local jails and other municipal confinement facilities.
Correctional residential facilities.
Group homes.
Juvenile facilities:
Group homes for juveniles (non-correctional).
Residential treatment centers for juveniles (non-correctional).
Correctional facilities intended for juveniles.
Nursing homes:
Nursing facilities/skilled-nursing facilities.
Note: Residents of assisted living, congregate care, and continuing care communities who are not receiving skilled nursing care are included in the housing unit population. Assisted living quarters are considered housing units and not group quarters as long as they have separate access from outside or from a common hall.
Homeless shelters.
Hospitals:
Mental (psychiatric) hospitals and psychiatric units in other hospitals.
Hospitals with patients who have no usual home elsewhere.
In-patient hospice facilities.
College or university dormitories, fraternities, sororities.
Workers’ group living quarters or dormitories.
Religious group quarters.
Any group quarters under construction that will be habitable (closed to the elements with final roof, windows, and doors) on Census Day, April 1, 2020.
Note: Housing units and group quarters can exist within the same structure. For example, assisted living quarters (housing units) may be located in the same structure that contains a nursing facility (group quarters).
Exclude the following unacceptable types of housing units and group quarters addresses from your updates to the Census Bureau’s Address List:
Condemned or scheduled for demolition.
Under construction or remodeling for conversion to a nonresidential purpose.
Used solely for nonresidential storage.
Used solely as offices or businesses in which no one is living.
Used solely for ceremonial purposes.
Transitory units (TUs) including pads, sites, slips, units, and rooms located at transitory locations (TLs). See Section 4.4.
Under construction and will not be habitable (closed to the elements with final roof, windows, and doors) on Census Day, April 1, 2020.
Note: The LUCA materials do not contain residential addresses within military installations. The Department of Defense provides the enumeration numbers to the Census Bureau for those living on military bases. The Census Bureau does not canvass or mail to addresses on military installations so there is no need to include these addresses as part of the LUCA review.
Residential and Nonresidential Addresses
The Census Bureau divides all addresses into two use types, residential and nonresidential. Residential addresses are addresses of housing units and/or group quarters where one or more people could live. Nonresidential addresses are addresses of a structure or unit within a structure that do not serve as a residence, such as commercial establishments, schools, government offices, and churches.
Note: Some structures can contain both residential and nonresidential units, even though they have a single address such as an apartment over a store or a home with an office. In this instance, the LUCA operation considers this address residential since it contains a housing unit.
City Style Address Format
The Census Bureau classifies housing units and
group quarters that have a house number and street name address, for
example, 212 Elm Street or 137 Clark Court,
Apt. 3, as city
style addresses. In some instances, the house number may also include
an alpha character such as 35A or W9254. These are mailing address or
addresses that provide location for emergency services, such as
police, fire, and rescue
(E-911 addresses).
City style addresses for housing units in
multiunit structures, such as apartment buildings, contain a unit
designator, for example, Apt 101 or Suite D or a location designator
such as “rear” or “basement” (Refer to
Appendix E, Unit Designation Abbreviations). The Census Bureau
and the United States Postal Service (USPS)
treat these
designators as part of the housing unit address, and they are
included
in each affected census address record.
Note: For
2020 LUCA, participants must provide unit identifiers (e.g., Apt 1,
Apt 2, Unit A,
Unit B) for multiunit buildings. Ensure that all
your apartment buildings, especially small multiunit buildings (3-4
units), such as large houses subdivided into apartments, have a
separate address line for each unit that includes the basic street
address and the individual unit designation.
Non-city Style Address Format
The Census Bureau classifies addresses that do not include a house number and/or a street name as non-city style addresses. Non-city style addresses also may not include a complete house number and street name address. Frequently used non-city style mailing addresses include:
Rural route and box number.
Highway contract route and box number.
General delivery.
Post Office box only delivery (Not accepted for LUCA).
Non-city style addresses often do not follow any numeric sequence and may not be associated with the name of the street or highway on which they are located. For this reason, the Census Bureau uses different methods to compile the list of addresses for inclusion into the address list, such as a physical location description (BRICK HOUSE w/ATTACHED GARAGE ON RIGHT), structure points (geographic coordinates), and census geographic codes (state code, county code, census tract number, census block number).
Census tracts are small, relatively permanent statistical subdivisions of a county or statistically equivalent entity. Numbered uniquely within each county, census tracts:
Delineated for presenting Census Bureau statistical data.
Generally, have a population size between 1,200 and 8,000 people, with an optimum size of 4,000 people.
Follow relatively permanent visible features.
May follow governmental unit boundaries and other non-visible features.
Occasionally split due to population growth or merge because of substantial population decline.
Consists of a six-digit code with a decimal between the fourth and fifth digit, contains a four-digit base number, including leading zeroes, plus a two-digit number suffix, with trailing zeroes. For example, 1234.01 and 0003.00.
A geographic area bounded by visible features, such as streets, roads, streams, and railroad tracks, and invisible features, such as the boundaries of governmental units and other legal entities. A census block is the smallest area for which the Census Bureau collects and tabulates statistical information. Census blocks are numbered within census tracts and are unique to the census tract in which they belong. For example, if your jurisdiction has three different census tracts then each will likely contain a census block 1000. Pay close attention to both the census tract and census block number on the address list when conducting your review and making updates.
Note: The 2020 LUCA operation uses 2010 tabulation blocks represented as “tabblock2010” in the TIGER Partnership shapefiles for digital map participants.
In order to process your address submissions, the Census Bureau requires the inclusion of census geographic code information. Geocoding is the assignment of an address or structure to a location identified by one or more geographic codes. Geographic codes include the correct state, county, census tract, and census block codes.
Because the Census Bureau counts people where they live, geocodes support the systematic collection of data that allows Census enumerators to locate an address. They are also important in allocating data from questionnaire responses to the correct location. You must include census geographic code information or structure coordinates (latitude and longitude) for the Census Bureau to process your address submissions. The Census Bureau will not accept addresses without either the census geographic codes (geocodes) including the state, county, census tract, and census block codes or by providing structure coordinates (latitude and longitude) on the address list. You can find the census geographic codes on your LUCA materials.
The USPS provides addresses to the Census Bureau on a regular basis. Although these addresses include state and county codes, the Census Bureau further geocodes these addresses to include the census tract and census block. In some cases, where the Census Bureau does not have new roads or road names in TIGER, these addresses could remain ungeocoded to the correct census tract or block. The Census Address List for state and county participants may contain ungeocoded addresses that could indicate areas of new growth where the Census Bureau may be missing the corresponding road features. Please provide the geocodes or the structure coordinates (latitude and longitude) for these addresses, if known, to ensure that the Census Bureau can enumerate each housing unit in the correct location.
When deciding how to conduct the LUCA review, consider your time, staff, and available local address information. If a complete review is not possible, focus your review on these areas:
Annexed land.
Apartment buildings and complexes.
Areas along governmental boundaries.
Areas of new housing construction (apartment complexes/subdivisions).
Blocks with the greatest address count differences between the Census Bureau’s address block count and your address block count.
E-911 address conversion areas.
Group Quarters (e.g., housing such as college dorms, and nursing homes).
New mobile home parks or new scattered mobile homes.
Single-family homes converted to multifamily homes, and vice versa.
Warehouses converted to residential lofts.
Note:
New for the 2020 LUCA Operation, multiunit identifiers (i.e., Apt 1,
Apt 2, or Unit 1,
Unit 2) are required for all new added
addresses and address updates for multiunit structures. The Census
Bureau will not process multiunit addresses without multiunit
identifiers.
There are many possible sources of local address information. Some of these sources may not match the Census Bureau’s Address List exactly, but they are a good indication of where change is taking place and can help you identify addresses that you need to add to the Census Address List.
Potential local address sources for compiling your residential address list:
Annexation records.
Assessment or tax files (residential units).
Driver’s license files.
E-911 address files.
Housing inspection records or occupancy permits.
Local utility records.
New housing construction or building permits (include units that are under construction only if final roof, doors, and windows will be in place on Census Day, April 1, 2020).
Planning and zoning records.
School enrollment records.
Voter registration files.
The LUCA Digital Address Materials
This chapter discusses protecting Census Bureau address information and describes the Census Bureau’s digital address materials. All address list and map examples containing map spots use fictitious information.
The most efficient method to review and match
your local address file to the Census Bureau’s address file is
to copy the Census Bureau’s digital address file onto a
computer hard drive. You must first ensure the protection of the
Census Bureau’s
Title 13, U.S.C. address information
including your Census Bureau digital address file, all address list
paper copies, and maps (including copies) containing structure points
(map spots). For detailed information refer to Appendix A,
Confidentiality and Security Guidelines.
If you need to add additional reviewers during your LUCA review, a blank Confidentiality Agreement Form (D-2005) is included in Appendix G. Be sure additional reviewers have read and understand the Confidentiality and Security Guidelines, Appendix A, before signing and returning the Confidentiality Agreement Form (D-2005) to the Census Bureau.
Any Information Technology (IT) systems used for LUCA participation must be accessible only to those who have signed the Confidentiality Agreement Form (D-2005). Your IT system should restrict the read, write, and delete functions to all Title 13 materials.
Construct electronic security profiles to allow only the LUCA liaison and the LUCA reviewers to access Title 13 materials. Test your security to ensure that access is restricted.
Use file encryption and passwords to protect all digital Title 13 materials at all times. Encrypt files using the Advanced Encryption Standard (AES) with key length of 256 bits.
Do not leave open computers containing Title 13 materials unattended. Log-off computers or lock the room.
Label all digital media and every printed page of any paper materials produced from Title 13 electronic media with the following:
“This document contains information, the release of which is prohibited by Title 13, U.S.C., and is for U.S. Census Bureau official use only. Wrongful disclosure or release of information can be punished by fine or imprisonment (Public Law 99-474)” <https://www.census.gov/history/www/reference/privacy_confidentiality/title_13_us_code.html>.
Do not send the backup media off-site. Store Title-13 materials in a secured area. Do not mix, store, or back-up LUCA data with other data.
Clear dedicated media containing Title 13 materials before reuse. Overwrite Title 13 digital data a minimum of three times using a commercial disk utility program.
Do not disclose precise or even anecdotal information about Census Bureau addresses or locations to anyone who has not signed the Confidentiality Agreement Form (D-2005).
The IT systems must use log-on routines that require a user-ID and password that conform to the following guidelines:
Unique user-ID and password required for the LUCA liaison, the LUCA reviewers, and anyone who has signed the Confidentiality Agreement.
Must consist of at least 12, nonblank characters consisting of at least one alphabet letter and either one number or one special character (i.e., $,*, or &).
Reject passwords that are the same as the user-ID or used within the last six months.
Disable passwords after three failed attempts.
Mask passwords.
Require password changes every 90 days or immediately, if compromised.
Require user to change an assigned password to a unique password the first time the user accesses a new account.
The digital address list file contains all of the residential addresses currently recorded by the Census Bureau for your jurisdiction. The digital address count list file contains the residential address counts for each census block within your jurisdiction. The file names contain your unique Federal Information Processing Series (FIPS) code for your jurisdiction. The name of each of the files is:
Address List: 2020LUCA _<EntityID>_address_list.csv, where <EntityID> is XXyyyyyyyyyy. Where XX is the two character, alpha entity type represented as follows:
ST—state
CO—county
PL—place
MC—minor civil division (MCD)
In addition, where yyyyyyyyyy is a variable length, numeric entity ID code represented as follows:
State: 2 digits
County: 5 digits
Place: 7 digits
Minor Civil Division (MCD): 10 digit
Address Count List: 2020LUCA_XXyyyyyyyyyy_address_countlist.csv.
Table 2: Entity Identification Codes
Entity |
Entity Identification Code |
Total Characters |
State |
ST (2 alpha) + (2 numeric) |
4 |
County |
CO (2 alpha) + State (2 numeric) + County (3 numeric) |
7 |
Place |
PL (2 alpha) + State (2 numeric) + FIPS Place (5 numeric) |
9 |
Minor Civil Division (MCD) |
MC (2 alpha) + State (2 numeric) + County (3 numeric) + FIPS MCD (5 numeric) |
12 |
4-character state file name–ST01 (Alabama):
2020LUCA_ST01_address_list.csv, where “ST” is state and “01” is the state code for Alabama.
7-character county file name–CO42085 (Mercer County, Pennsylvania):
2020LUCA_CO42085_address_list.csv, where “CO” is county, “42” is the state code for Pennsylvania and “085” is the county code for Mercer County.
9-character place file name–PL0100124 (Abbeville city):
2020LUCA_PL0100124_address_list.csv, where “PL” is place, “01” is the state code for Alabama, and “00124” is the FIPS place code for Abbeville city.
12-character minor civil division–MC4208567472 (Salem Township, Mercer County, Pennsylvania):
2020LUCA_MC4208567472_address_list.csv, where “MC” is minor civil division, in this instance, a township; “42” is the state code for Pennsylvania; “085” is the county code for Mercer County; and “67472”, the minor civil division code for Salem Township.
The address count list file follows the same naming convention as the address list file but uses “_address_countlist.csv.” Because the naming convention is identical to the address list file for each entity type, there is no need to repeat all examples. The example below provides the address count list file name for a 9-character place—Abbeville city, Alabama:
2020LUCA_PL0100124_address_countlist.csv, where “PL” is place, “01” is the state code for Alabama, and “00124” is the Census place code for Abbeville city.
The address list file contains all the residential addresses currently recorded by the Census Bureau for your reservation and/or off reservation trust lands. The address count list file contains the residential address counts for each census block within your reservation and/or off reservation trust lands. The name of each file is:
Address List: 2020LUCA_TRxxxxTAyyyy_address_list.csv
Address Count List: 2020LUCA_TRxxxxTAyyyy_address_countlist.csv
The file names contain your unique FIPS code assigned by the Census Bureau to your tribe and associated geographic area. This fixed length alphanumeric code is composed of 12 characters.
The tribal code is 6 characters:
TR + a 4-digit numeric code
TR0013, and
The tribal geographic area code is 6 characters:
TA + a 4-digit numeric code
TA0185.
Below is an example of a tribal identification code and its associated geographic area:
TR0013TA0185
TR0013 represents the Utu Utu Gwaitu Paiute Tribe of the Benton Paiute Reservation, and
TA0185 represents Benton Paiute Reservation, the geographic area associated with the Utu Utu Gwaitu Pauite Tribe.
The file name for the Address List is:
2020LUCA_TR0013TA0185_address_list.csv, and
The file name for the Address Count List is:
2020LUCA_TR0013TA0185_address_countlist.csv.
You receive the LUCA digital data files on either one or two DVD discs depending on the product preference you selected. One disc is the Title 13 Data Disc and the second is the Non-Title 13 Data Disc. In addition, if you chose the Digital Address List and Digital Maps selection, you receive a courtesy software installation disc for the Geographic Update Partnership Software (GUPS). The following three sections describe the information contained on each disc for the three available digital address list and map product preferences.
If you selected the digital address list and large format paper maps, you receive one disc. The Title 13 Data Disc contains the Census Bureau’s Title 13 Address List in a folder named “shape” (2020LUCA_<EntityID>_DISK1of2.exe). You need the password sent separately from your LUCA materials to open this zipped, encrypted file.
In addition to the “shape” folder, the root directory of the disc contains non-Title 13 materials including:
2020LUCA_<EntityID>_address_countlist.csv—Address Count List.
2020LUCA_digital_respondent_guide.pdf—2020 Census Local Update of Census Addresses Operation (LUCA) Respondent Guide, Digital Address List Format.
2020LUCA_header_file.txt—address list header layout template you may use to import your local address list into the Census Bureau’s address list layout.
LUCA20_inventory.pdf—fillable PDF form, D-2011 Inventory Form for the Return/Submission of Materials, identifies the updated LUCA materials you are submitting to the Census Bureau.
Readmefirst4.txt—provides detailed explanations of each folder and file on the disc.
If you selected the digital address list and large format paper/PDF maps, you receive one disc. The Title 13 data disc contains two folders:
“maps”— contains the PDF Title 13 Block Maps (Title13_BlockMaps.exe) and the supplemental files. See Section 3.2.6.
“shape”— contains the Census Bureau’s Title 13 Address List (2020LUCA_<EntityID>_DISK1of2.exe).
You need the password sent to you separately from your LUCA materials to open these Title 13 zipped, encrypted files.
In addition to the “maps” and “shape” folders, the root directory of the disc contains non-Title 13 materials including:
2020LUCA_<EntityID>_address_countlist.csv—Address Count List.
2020LUCA_digital_respondent_guide.pdf—2020 Census Local Update of Census Addresses Operation (LUCA) Respondent Guide, Digital Address List Format.
2020LUCA_header_file.txt—address list header layout template you may use to import your local address list into the Census Bureau format
LUCA20_inventory.pdf—fillable PDF form, D-2011 Inventory Form for the Return/Submission of Materials, identifies the updated LUCA materials you are submitting to the Census Bureau.
Readmefirst5.txt—provides detailed explanations of each folder and file on the disc.
If you selected the digital address list and the digital maps you receive two discs and a courtesy software installation disc for the Geographic Update Partnership Software (GUPS).
The Title 13 Data Disc contains the Census Bureau’s Title 13 Address List in a folder named “shape” (2020LUCA_<EntityID>_DISK1of2.exe). You need the password sent to you separately from your LUCA materials to open this zipped, encrypted file.
The Non-Title 13 Data Disc contains a folder named “shape” (2020LUCA_<EntityID>_DISK2of2.exe). You do not need a password to open this file. This executable file contains:
Individual digital map (TIGER Partnership shapefiles) folders, one for your state and one for the county or each county in which your jurisdiction is located.
2020LUCA_<EntityID>_address_countlist.csv—Address Count List.
Additionally, the root directory of the Non-Title 13 Data Disc contains:
2020LUCA_digital_respondent_guide.pdf—2020 Census Local Update of Census Addresses Operation (LUCA) Respondent Guide, Digital Address List Format.
2020LUCA_gups_respondent_guide.pdf—2020 Census Local Update of Census Addresses Operation (LUCA) Geographic Update Partnership Software (GUPS) Respondent Guide.
2020LUCA_header_file.txt—address list header layout template you may use to import your local address list into the Census Bureau format
LUCA20_inventory.pdf—fillable PDF form, D-2011 Inventory Form for the Return/Submission of Materials, identifies the updated LUCA materials you are submitting to the Census Bureau.
Readmefirst6.txt—provides detailed explanations of each folder and file on the disc.
As a courtesy, this product preference selection receives a software installation disc containing the Geographic Update Partnership Software (GUPS). The respondent guide, which contains detailed information for using GUPS, is included on the Non-Title 13 Data Disc.
The Census Bureau recommends that you make a copy of each of the original files and place them on the hard drive of a computer that is password protected. This will preserve the originals should you need to look at an original record or require another original copy of the file.
Note: A case-sensitive password is required to open the Address List file. The Census Bureau mailed the password to you, separately from your LUCA materials.
To keep your work organized, create a new directory or new folder on your hard drive.
Insert the Title 13 Data Disc DVD.
One of the following screens opens depending on your product preference selection.
Figure
1. Title 13 Data Disc Screen
for Digital Address List and Large Format Paper Maps
(No PDF
Maps) Product Preference Participants
Figure
2. Title 13 Data Disc Screen
for Digital Address List and Large Format Paper/PDF Maps
Product
Preference Participants
Figure 3. Title 13 Data Disc Digital Address List and Digital Maps Product Preference Participants
If you have files in addition to the “shape” folder, copy the files into the new directory or new folder that you created.
Double-click on the folder named “shape.”
Figure 4. Copied Folder
After the folder opens, right click on the file named 2020LUCA_<EntityID>_DISK1of2.exe and select Copy.
Open the folder that you created. Right click and select Paste.
Double click on the file in your new directory/folder named 2020LUCA_<EntityID>_DISK1of2.exe
A command prompt opens. Enter the password the Census Bureau sent to you. (Your password is invisible and does not appear as you type.) Upon successful entry, the window shows the progress and closes when completed.
Figure 5. Command Prompt Screen
The address list will extract into the folder you created. The file name is 2020LUCA_<EntityID>_address_list.csv. Where <EntityID> is your jurisdiction’s entity identification code found on all of your LUCA materials.
Figure 6 shows the extracted address list file in the folder:
Figure 6. Extracted Address List
To open the address list, see Section 2.2.5 Converting Comma Delimited Text Files.
For the digital address list and large format paper/PDF maps product preference participants, see Section 3.2.1 Opening the PDF Maps to extract the “maps” folder.
Insert the Non-Title 13 Data Disc DVD.
When the screen opens, copy the files into the new folder that you created.
Figure
7. Non-Title 13 Data Disc
Screen for Digital Address List and Digital Maps
Product
Preference Participants
Double-click on the folder named “shape.”
Figure 8. Copied File Screen
Double click on the file in your new directory/folder named, 2020LUCA_<EntityID>_DISK2of2.exe.
A command prompt opens that shows the progress of the file extraction and closes upon completion. (You do not need the password to extract this file.)
Figure 9. Command Prompt Screen
The Address Count List, 2020LUCA_<EntityID>_address_countlist.csv and the digital maps are extracted into the folder you created. Figure 10 shows the extracted files.
Figure 10. Address Count List and Digital Maps Folders
The shapefiles are in individual folders for the state and each county in which your jurisdiction is located. For example, if your city spans three counties, as with Austin, Texas, you will see a state folder (shown as the state FIPS number, e.g., Texas is 48) and three county folders (shown as the state FIPS and county FIPS number, Hays (48209), Travis (48453) and Williamson (48491) counties).
The .csv files that extract from .exe actions described in Section 2.2 are comma delimited text files. Most commercial spreadsheet and database programs can open the LUCA files (e.g., Microsoft Excel, Microsoft Access,3F4 etc.).
In order to read the file contents properly, you need to import the file rather than opening it. This example uses Excel 2016.
Open a new Excel spreadsheet.
Figure 11. Importing a File in Excel
Select ‘Data’. Click on ‘Get External Data.’ Select ‘From Text.’
Navigate to the address list file you extracted and click on the file.
When the file highlights, select ‘Import’ at the bottom of the screen.
Figure 12. Selecting the Address List File
The ‘Text Import Wizard’ window opens in Excel. Step 1 of 3, select ‘Next.’
Figure 13. Text Import Wizard Step 1
Step 2 of 3, select the ‘Comma’ box. From the ‘Text qualifier’ drop-down menu, select ‘{none}’. Select ‘Next.’
Figure 14. Text Import Wizard Step 2
Step 3 of 3, hold down the ‘Shift’ key and scroll to the end of the columns. The columns will highlight black.
Select the ‘Text’ radio button.
Click ‘Finish’ at the bottom of the window.
Figure 15. Text Import Wizard Step 3
Note: Define all field types as text, including numeric fields such as census tract number, census block number, GEOID, ZIP Code, and so forth to account for leading zeros that are important for accurate coding.
Once the address list opens, follow the record layout in Table 3: Digital Address List Record Layout to name and define the sizes of your fields.
If you need assistance or more information, please call the Geographic Partnership Support Desk toll free at 1-844-344-0169 or email geo.2020.luca@census.gov.
The Census Bureau’s Address List contains all of the residential (city style and non-city style) addresses known to the Census Bureau within your jurisdiction, reservation or off-reservation trust lands. It also contains census geographic codes (state, county, census tract, census block) that indicate the location of each address.
Each address record in the address list file is a maximum of 649 characters and contains 24 fields of information. The character length of each record may vary. The first row, or header row, of the address list file displays the field names for each data column in the file.
Each address record contains the following fields that you may or may not edit to the Census Address List’s existing addresses:
LINE_NUMBER—Sequential number for each address record in the file. Do not edit this field.
MAFID—Unique control number (maximum character length is 9 characters) assigned by the Census Bureau to each MAF address. Do not edit this field.
ENTITY—Unique identification number (maximum character length is 12 characters) assigned by the Census Bureau to each entity. Do not edit the Entity ID Code for existing address records, but do record your Entity ID Code for address records that you add.
ACTION—Edit this field to record the type of change when an update is made to an address, including:
A—Add new or missing addresses.
C—Flagging addresses for correction.
D—Flagging addresses for deletion.
J—Flagging addresses not in your jurisdiction.
N—Flagging addresses as nonresidential.
STATEFP—Two-digit state FIPS code for your jurisdiction. You may edit this field to record your correct state code.
COUNTYFP—Three-digit county FIPS code for your jurisdiction. You may edit this field to record your correct county code.
TRACT—Consists of a six-digit code with a decimal between the fourth and fifth digit, contains a four-digit base number, including leading zeroes, plus a two-digit number suffix, with trailing zeroes. For example, 1234.01 and 0003.00. You may edit this field to record the correct census tract numbers when records are incorrectly geocoded.
BLOCK—Four-digit 2010 Census Tabulation Block Number. Census blocks are numbered uniquely from 0000 to 9999 within a census tract, which nest within a county and a state. The first digit of the census block number identifies the block group. You may edit this field to record the correct census block numbers when records are incorrectly geocoded.
GEOID—15-digit combination of STATEFP, COUNTYFP, TRACT, and BLOCK fields, e.g.,010090054001009. Do not edit this field.
GQ_FLAG—Displays a “Y” for addresses that are considered group quarters, such as nursing homes or dormitories. Do not edit this field.
HOUSENUMBER—The assigned address number, alone or with an address number prefix and/or address number suffix that identifies a location along a thoroughfare or within a community. Do not edit this field.
STREETNAME—The full street or road name of a thoroughfare as assigned by a governing authority or the used and recognized alternate (alias) name. You may edit this field.
Note: Census blocks within your jurisdiction that contain no addresses known to the Census Bureau will contain the following statement in the Complete Street Name field: “NO KNOWN ADDRESSES IN THIS BLOCK.” Do not edit records for blocks containing this statement. If there are residential addresses known in these blocks, add them following the instructions in Chapter 4..
APARTMENT UNIT—Within structure descriptor or identifier, such as APT 5 or 1st FL FRN. Do not edit this field.
Note: Multiunit identifiers are required for all new added addresses and address updates for multiunit structures for LUCA. The Census Bureau will not process a multiunit address without a multiunit identifier.
ZIP—5-digit USPS ZIP Code for city style mailing addresses. You may edit this field.
GQ NAME—Name associated with a group quarters (e.g., Dobbs Hall). Do not edit this field.
FACILITY NAME—Facility name if the group quarters is associated with a facility (e.g., Group Quarters Name is Dobbs Hall, associated with the Facility Name, University of Illinois). Do not edit this field.
LOCATION DESCRIPTION—Description of the location and physical characteristics of a living quarters (Red Ranch w/White Shutters). Do not edit this field.
NONCITYSTYLE ADDRESS—Identifies non-city style mail delivery address such as rural route or highway contract route and box number. Do not edit this field.
NONCITYSTYLE ZIP—Five-digit USPS ZIP Code for non-city style mailing addresses. You may edit this field.
MAPSPOT—Unique number assigned by the Census Bureau for each map spot within a block. Numbering starts over in each block. You may edit this field.
USE—A value entered by the participant indicating if the address is used for M) mailing purposes, L) location purposes, including emergency services, B) both mailing and location purposes. This field is optional, use when adding addresses.
LAT—Address structure latitude, populated only if the Census Bureau has captured an address structure point for the address, otherwise blank. If blank or incorrect, you may edit this field.
LONG—Address structure longitude, populated only if the Census Bureau has captured an address structure point for the address, otherwise blank. If blank or incorrect, you may edit this field.
CITY_STYLE—Displays “Y” if city style address or an “N” if non-city style address. Do not edit this field.
Table 3: Digital Address List Record Layout
|
Max Character Length |
Field Name |
Description |
Editable |
1 |
7 |
LINE_NUMBER |
Sequential number for each address record in the file. |
N |
2 |
9 |
MAFID |
Unique control number assigned by the Census Bureau to each MAF address |
N |
3 |
12 |
ENTITY |
Unique number assigned by the Census Bureau to each entity. |
N-existing Y-adds |
4 |
1 |
ACTION |
Entered by the participant to indicate an action taken on the address. |
Y |
5 |
2 |
STATEFP |
Two-digit Current State FIPS Code. |
Y |
6 |
3 |
COUNTYFP |
Three-digit Current County FIPS Code. |
Y |
7 |
7 |
TRACT |
Consists of a six-digit code with a decimal between the fourth and fifth digit, contains a four-digit base number, including leading zeroes, plus a two-digit number suffix, with trailing zeroes. For example, 1234.01 and 0003.00. |
Y |
8 |
4 |
BLOCK |
Four-digit 2010 Census Tabulation Block Number. Census blocks are numbered uniquely from 0000 to 9999 within a census tract, which nest within a county and a state. The first digit of the census block number identifies the block group. |
Y |
9 |
15 |
GEOID |
15-digit combination of STATEFP, COUNTYFP, TRACT, and BLOCK, e.g. 010090054001009. |
N |
10 |
1 |
GQ_FLAG |
Displays a ‘Y’ if the address is a group quarters. |
N |
11 |
35 |
HOUSENUMBER |
Housing unit or group quarters assigned address number, alone or with an address number prefix and/or address number suffix that identifies a location along a thoroughfare or within a community. |
N |
12 |
100 |
STREETNAME |
Full street or road name. The official name of a thoroughfare as assigned by a governing authority, or a used and recognized alternate (alias) name. |
Y |
13 |
65 |
APARTMENT UNIT |
Within structure descriptor or identifier, such as APT 5 or 1st FL FRN. |
N |
14 |
5 |
ZIP |
Five-digit ZIP Code for city style mailing address. |
Y |
15 |
100 |
GQ NAME |
Name of group quarter (Dobbs Hall). |
N |
16 |
100 |
FACILITY NAME |
Name of group quarter facility (University of Illinois). |
N |
17 |
100 |
LOCATION DESCRIPTION |
Description of the location and physical characteristics of a living quarters (RED RANCH W/WHITE SHUTTERS). |
N |
18 |
50 |
NONCITYSTYLE ADDRESS |
Rural Route and Box number or Highway Contract Route and Box number. |
N |
19 |
5 |
NONCITYSTYLE ZIP |
5-digit USPS ZIP Code for non-city style mailing address. |
Y |
20 |
4 |
MAPSPOT |
Unique number assigned by the Census Bureau for each map spot within a block. Numbering starts over in each block. |
Y |
21 |
1 |
USE |
A value entered by the participant when adding an address to indicate if the address is used for M) mailing purposes, L) location purposes, including emergency services, B) both mailing and location purposes. Optional field. |
Y |
22 |
11 |
LAT |
Address structure latitude, populated only if the Census Bureau has captured an address structure point for the address. If blank or incorrect, you may edit this field. |
Y |
23 |
12 |
LONG |
Address structure longitude, populated only if the Census Bureau has captured an address structure point for the address. If blank or incorrect, you may edit this field. |
Y |
24 |
1 |
CITY_STYLE |
Displays “Y” if city style address, an “N” if non-city style address. |
N |
The Address Count List contains the number of housing unit (HU) and group quarters (GQ) addresses on the Census Bureau’s Address List for each census block within your jurisdiction. This list is for reference purposes only. Participants can use this list to see the number of residential addresses the Census Bureau has for each block and determine if those numbers are correct. The first row, or header row, displays the field names for each data field in the file. In order to join the data using GIS, digital users should plan to remove the spaces in the field names.
Although developed for use with Geographic Update Partnership Software (GUPS), you may use the digital Address Count List file for your reference. The Original Count of HUs, the Current Count of HUs, and the Difference IN HUs fields contain the same number of addresses. Likewise, the Original Count of GQs, the Current Count of GQs, and the Difference of GQs fields contain the same number. The Local Count of HUs and Local Count of GQs contain zeros.
Each file contains the following information:
STATE—Two-digit current state FIPS code for your jurisdiction.
COUNTY—Three-digit current county FIPS code for your jurisdiction.
TRACT—Consists of a six-digit code with a decimal between the fourth and fifth digit, contains a four-digit base number, including leading zeroes, plus a two-digit number suffix, with trailing zeroes. For example, 1234.01 and 0003.00.
BLOCK—Four-digit 2010 Census Tabulation Block Number. Census blocks are numbered uniquely from 0000 to 9999 within a census tract, which nest within a county and a state. The first digit of the census block number identifies the block group.
GEOID—15-digit combination of STATEFP, COUNTYFP, TRACT, and BLOCK fields. For example, 010090046001002.
Original_Count_of_HUs—Total number of addresses in your jurisdiction identified as residential housing units by data in the MAF.
Current_Count_of_HUs—Number is the same as the Original Count of HUs. (For use with GUPS)
Local_Count_of_HUs—Contains zeros. (For use with GUPS)
Difference_in_HUs—Contains the same number as the Original Count of HUs field. (For use with GUPS)
Original_Count_of_GQs—Total number of addresses in your jurisdiction identified as residential group quarters by data in the MAF.
Current_Count_of_GQs—Number is the same as the Original Count of GQs. (For use with GUPS)
Local_Count_of_GQs—Contains zeros. (For use with GUPS)
Difference_IN_GQs—Contains the same number as the Original Count of GQs. (For use with GUPS)
Table 4: Digital Address Count List Record Layout contains the maximum character length for each field. At the end of the file, the GEOID field contains the phrase “Unable to Geocode.” This data is for state and county participants that may receive ungeocoded addresses as part of their LUCA materials. For other participants, this line contains zeros.
The last row of the file, the GEOID field contains the word “TOTAL.” This row records the total number the Census Bureau has for your jurisdiction in these fields:
ORIGINAL_COUNT_OF_HUs.
Current_Count_of_HUs (For use with GUPS).
Difference_IN_HUs (For use with GUPS).
ORIGINAL_COUNT_OF_GQs.
Current_Count_of_GQs (For use with GUPS).
Difference_IN_GQs (For use with GUPS).
Table 4: Digital Address Count List Record Layout
|
Max Character Length |
Field Name |
Description |
1 |
2 |
STATE |
Two-digit FIPS State code. |
2 |
3 |
COUNTY |
Three-digit FIPS County code. |
3 |
7 |
TRACT |
Consists of a six-digit code with a decimal between the fourth and fifth digit, contains a four-digit base number, including leading zeroes, plus a two-digit number suffix, with trailing zeroes. For example, 1234.01 and 0003.00. |
4 |
4 |
BLOCK |
Four-digit 2010 Census Tabulation Block Number. Census blocks are numbered uniquely from 0000 to 9999 within census tract, which nest within state and county. The first digit of the census block number identifies the block group. |
5 |
15 |
GEOID |
15-digit combination of STATEFP, COUNTYFP, TRACT, and BLOCK fields. For example 010090046001002. |
6 |
7 |
ORIGINAL_COUNT_OF_HUs |
Total number of addresses in the entity count list identified as residential housing units by data in the MAF. |
7 |
7 |
CURRENT_COUNT_OF_HUs |
Total number of addresses in the entity count list identified as residential housing units by data in the MAF. This number will be the same as Original Count of Census HUs in product creation. (For use with GUPS.) |
8 |
7 |
LOCAL_COUNT_OF_HUs |
Total number of Housing Unit Addresses Loaded by the user. Number is ‘0’, zero-filled for all records in product creation. (For use with GUPS.) |
9 |
7 |
DIFFERENCE_IN_HUs |
Current Count of Census HUs minus Local Count of HUs. This number will be the same as Original Count of Census HUs in production creation. (For use with GUPS.) |
10 |
7 |
ORIGINAL_COUNT_OF_GQs |
Total number of addresses in the entity count list identified as residential group quarters by data in the MAF. |
11 |
7 |
CURRENT_COUNT_OF_GQs |
Total number of addresses in the entity count list identified as residential group quarters by data in the MAF. This number will be the same as Original Count of Census GQs in product creation. (For use with GUPS.) |
12 |
7 |
LOCAL COUNT_OF_GQs |
Total number of Group Quarters Addresses loaded by the user. Number is ‘0’, zero-filled for all records in product creation. (For use with GUPS.) |
13 |
7 |
DIFFERENCE_IN_GQs |
Current Count of Census GQs minus Local Count of GQs. This number will be the same as Original Count of Census GQs in production creation. (For use with GUPS.) |
The LUCA Paper Maps
To support the 2020 Census LUCA paper map selection, the Census Bureau provides:
Large format paper maps (36”x32”), which may include one or more sheets. The Census Bureau provides large format paper maps to all participants that selected the Paper or Paper/PDF product preference for the map selection. Use these maps to geocode your addresses.
The focus of the 2020 LUCA operation is addresses. While helpful, map updates are only required to indicate new, or updates to existing, non-city style address records. Participants choosing the paper address list/large format paper product preference that wish to make map updates to accompany their address list updates, must use the large format maps since they do not receive the PDF small format block maps. Due to the scale of the large format maps, updates may be difficult. Please do not allocate much of your 120-day review period attempting map updates. Focus on the address list.
DVD of small format (8.5”x14”) block maps in Adobe Portable Document Format (PDF) that contains map spots (address structure coordinates showing the location of residential addresses). Only those participants that selected the large format paper map with PDF materials receive the Title 13 small format block maps. A PDF of the large format maps is included with this product preference.
Block to Map Sheet Relationship List that lists all of the census blocks within your jurisdiction and identifies the large format parent map sheet(s) on which each census block is located.
See Appendix B for a detailed explanation of the legend for the large format paper map.
There are three types of paper map sheets:
Index Sheets
Parent Sheets
Inset Sheets
Covers the entire extent of your jurisdiction.
Divided into numbered grids that correspond to the parent sheets.
Each numbered grid area corresponds to the area covered by a parent sheet.
Provided to jurisdictions with more than one parent sheet.
Index sheets are for reference purpose only.
Detailed view of a section of your jurisdiction.
Corresponds to a grid and grid number on the Index sheet.
Shows detail for features and geographic areas.
Identifies the location of census tracts and blocks within your jurisdiction.
Note: Blocks affected by boundary improvements may contain a block number with an alpha suffix on the parent sheet and/or inset map. You do not need to provide the alpha suffix when changing a geocode on the address list or adding a geocode to a new address.
Do not exist for every jurisdiction or on every parent sheet.
Shows the detail of congested areas on parent sheets.
Highlighted
on the parent sheet with a fill pattern and identified with an alpha
character (e.g., A).
May be multiple sheets (e.g., A1, A2).
Shows detail for features and geographic areas.
The LUCA paper large format map shows some of the same information found on a typical road map, such as streets and roads, water features, and legal boundaries. However, the LUCA map displays this information using symbols unique to the Census Bureau. The map displays the following information:
Entity boundary.
Entity name and FIPS Entity Code.
Census tract boundaries and numbers.
Census block boundaries and numbers.
Streets and street names.
Railroads.
Water features.
The Map Border
The key to adjacent areas, if your jurisdiction has multiple map sheets.
Entity identification information.
Barcode.
Scale.
North arrow.
The Map Legend
Boundaries.
Transportation.
Other Features.
Landmarks.
Footnotes and Notes.
See Appendix B for a detailed description of the map legend.
Boundary Improvements
The map products reflect jurisdiction boundary improvements. A boundary improvement may split a census block. In these instances, the split block number contains the root number and a suffix. For example, the root block 1001, split by a boundary improvement, is now 1001A and 1001B. The jurisdiction containing 1001A receives only those addresses located within their jurisdiction. The jurisdiction containing 1001B receives only those addresses located within their jurisdiction.
Figure 16. Boundary Improvements
Map Example
This example describes some of the symbols used on the Census Bureau large format parent sheet map.
Figure 17. LUCA Large Format Parent Sheet Paper Map
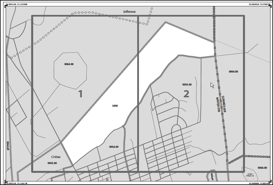
The Block to Map Sheet Relationship List identifies the large format parent map sheet or sheets on which each census block is located. The sort for this product is by census tract number and census block number in ascending order. In the example shown in Figure 18, census block 1000 in census tract 46.00 is located on parent sheets 4 and 6.
Figure 18. LUCA Block to Map Sheet Relationship List
You need Adobe Reader (or Acrobat Professional) to open and view the LUCA PDF block map. If needed, you can download the free PDF software at <https://acrobat.adobe.com/us/en/acrobat/pdf-reader.html>.
If you selected the digital address list and large format paper/PDF maps, the Title 13 Data Disc contains the Census Bureau’s Title 13 block maps in a folder named “maps.” You need the password sent to you separately from your LUCA materials to open this zipped, encrypted file as described in Section 3.2.1.
All map examples depicting map spots use fictitious information for illustration, instruction, and training purposes only.
To keep your work organized, create a new directory or new folder on your hard drive.
Insert the Title 13 Data Disc.
Right click on the folder named “maps” and select copy.
Figure 19. “maps” Folder
Open the new folder and paste the copied “maps” folder.
Double-click the “maps” folder, the following files appear in the folder:
Readme.txt—Contains an Adobe Reader statement.
About_the_maps.pdf—Contains tips for using the pdf small format block maps and includes a brief description of the map types and supplemental files. In addition, this file includes tips for printing the small format maps.
LUCA20<EntType><EntCode>.pdf—Contains images of the large format paper maps you received.
LUCA20<EntType><EntCode>_BLK2MS.txt—Contains a list of all the blocks within your jurisdiction and the sheet or grid number(s) that identify the large format parent sheet where the block is located. This file is in a semicolon text format.
Title13_BlockMaps.exe—This .exe contains the Title 13 small format block maps to update road features and map spots.
Figure 20Figure 20 shows the folder containing the extracted file:
Figure 20. “maps” Extracted Files
See Section 3.2.6.1 for instructions on opening the Title13_BlockMaps.exe file.
The following are a few examples of large format map file names using entity types and entity codes:
LUCA20C88003.pdf—Large format bundled PDF map for a county.
LUCA20P2302060.pdf—Large format bundled PDF map for a place.
LUCA20M2717317918.pdf—Large format bundled PDF map for an MCD (township).
LUCA20R0010.pdf—Large format bundled PDF map for a reservation.
LUCA20C88003_BLK2MS.txt—Block to Map Sheet Relationship List for a county.
LUCA20M8817317918_BLK2MS.txt—Block to Map Sheet Relationship List for an MCD.
Table 5: Entity Type and Entity Code
<EntType> is Entity Type: |
<EntCode> is Entity Code: |
C = County |
County = ssccc |
M = Minor Civil Division (MCD) |
MCD = sscccmmmmm |
P = Incorporated Place |
Place = ssppppp |
R = American Indian Reservation |
AIR = rrrr |
|
Ss = state code (FIPS) |
|
Ccc = county code (FIPS) |
|
Mmmmm = MCD code (FIPS) |
|
rrrr = AIR code (census) |
The
PDF small format block map products reflect jurisdiction boundary
improvements. A boundary improvement may split a census block. For
the small format block maps in these instances, the split block
number contains the root number and a suffix. For example, the root
block 1001, split by a boundary improvement, is now 1001A and 1001B.
The jurisdiction containing 1001A receives only those addresses
located within their jurisdiction. The jurisdiction containing 1001B
receives only those addresses located within their jurisdiction.
Figure 21. Boundary Improvements
The Block to Map Sheet Relationship List is a semicolon delimited text file. This file contains the specific map sheet or sheets on which each census block is located. You can open the file with a simple text editor such as Wordpad or Notepad. You can also import the file with spreadsheet software such as Excel.
To open the file in your text editor:
Click on the LUCA20<EntType><EntCode>_BLK2MS.txt file
Figure 22. The Block to Map Sheet Relationship File
When the file opens, the information appears in the following columns:
Type
Block GEOID
Block Suffix
Sheets
In the following example, the Block GEOID (880090501071000) contains:
State 88.
County 009.
Census tract 050107.
Census block 1000.
The number of parent sheets, 2.
Figure 23. Example of the Digital Block to Map Sheet Relationship List Opened in Wordpad
To import the file into a spreadsheet such as Excel:
Open a new Excel spreadsheet.
Select ‘Data’. Click on ‘Get External Data.’ Select ‘From Text.’
Figure 24. Importing a File in Excel
Navigate to the folder where you saved the file and select the file. When the file highlights, select ‘Import’ at the bottom of the screen.
The ‘Text Import Wizard’ window opens in Excel. Step 1 of 3, select ‘Next.’
Figure 25. Text Import Wizard Step 1
Step 2 of 3, select the ‘Semicolon’ box. From the ‘Text qualifier’ drop-down menu, select ‘(none)’. Select ‘Next.’
Figure 26. Text Import Wizard Step 2
Step 3 of 3, hold down the ‘Shift’ key and select the last column. The columns will highlight black.
Select the ‘Text’ radio button.
Click ‘Finish’ at the bottom of the window.
Figure 27. Text Import Wizard Step 3
When the Import Data window opens, select ‘OK.’ The file opens in Excel.
Figure 28. Entity Index Map
The LUCA20<EntType><EntCode>.pdf file contains your entity’s PDF file of the large format index map and all the parent and inset paper maps you received bundled into one file. The lower right corner of the map provides information about the total number of map sheets within the file.
The numbered grids displayed on the index map correspond to each large format parent sheet number within the file. You can find where each census block is located using the Block to Map Sheet Relationship List, LUCA20<EntType><EntCode>_BLK2MS.txt.
Once
the index map is open, you can click the paper icon in the upper left
to display the thumbnails (The screen display depends on the version
of Adobe you use). These map sheet page numbers correspond to the
grid numbers on the main index sheet.
Figure 29. Paper Icon
Use the scroll bar beside the thumbnails or the tool bar at the top of the screen to view each parent sheet.
Figure 30. Scroll Bar
Click on the map sheet icon to display the parent sheet on the full screen.
Figure 31. Map Screen Icon
To
zoom in or out, use the plus or minus symbols or the dropdown arrow
for the image size (percentage), you want to display.
Figure 32. Image Magnification
The parent sheets provide a detailed view of a section of your jurisdiction. When zoomed in, you can identify the location of census tracts, census blocks, features, and street names.
Figure 33. Parent Sheet
Figure 34. Parent Sheet Zoomed In
This file contains the Title 13 small format block maps to update road features and map spots. The print size is legal, 8 ½ X 14. (You must use legal size, 8 ½ X 14 paper to ensure optimal scale and use.). Print only those maps that you need for updates and return them with your updated address list.
Double-click the file named Title13_BlockMaps.exe to extract the small format block maps.
Figure 35. Command Prompt Screen
A command prompt will open that asks for your password. Enter the password sent to you by the Census Bureau. (Your password is invisible and does not appear as you type.) The small format block maps will extract to the “maps” folder.
The following list of files opens in the folder:
Figure 36. List of Files for the Title13 Block Maps
The BlockInfo_LUCA20<EntType><EntCode>.txt file is a semicolon delimited text file that includes basic information for each block in the participant entity. Follow the instructions in Section 3.2.6.2 to open the file.
File name Examples:
BlockInfo_LUCA20C88003.txt
BlockInfo_LUCA20M881731791.txt
BlockInfo_ LUCA20R0010.txt
Each record includes information specific to that block: block GEOID; state code; county code; census tract code; related place code; related MCD code; related Federal American Indian Reservation code; parent sheet map scale; block map file name; and total number of map sheets.
Example:
BLK_GEOID;State;County;Tract;Place;MCD;FAIR;ParentScale;MapFilename;TotalSheets
500039710001021;50;003;9710.00;53125;04825;;1419;LUCA20BLK_500039710001021.pdf;1
500039710001022;50;003;9710.00;53125;04825;;980;LUCA20BLK_500039710001022.pdf;6
The large format and small format PDF block maps use current block, therefore the “full block code” may include alpha block suffixes. Each record includes the State code, County code, census tract code, and census block code.
File name Examples:
LUCA20BLK_880350403051064.pdf
LUCA20BLK_880350403051063.pdf
LUCA20BLK_880350403051062A.pdf—with alpha block suffix
LUCA20BLK_880350403051062B.pdf—with alpha block suffix
To view a block map, click on the PDF file for the block number you need to review and/or update.
Page 1 of 3
Figure 37. Page 1 Showing Two Sheets Required to Display One Block (1000)
Page 1 of 3 a small format block map file may contain a single block or may contain multi-sheeted (bundled PDF) images within a single block. For a multi-sheeted block, the first map displays an index map. In this illustration, census tract 0054.00, block 1000, requires two sheets to display individually. (These are larger area blocks. Some large census blocks may require 50 or more sheets.)
For multi-sheeted blocks, select only the sheet that you need to print to make your updates.
The small format block maps contain Title 13 map spots as shown below:
Page 2 of 3
Page 3 of 3
Figure 38. Pages 2 and 3 Showing the Individual Images of Block 1000 (Training—Fictitious Information)
L
andscape
Orientation
The PDF block maps are portrait orientation or landscape orientation, shown above, depending on the shape and orientation of the block. For multiunit structures, the map spot number includes the number of units in parentheses. For example, 6 (4) indicates map spot 6 contains 4 units.
Figure 39. Landscape Map Image Example (Training—Fictitious Information)
Inset sheets show the detail of congested areas on parent sheets. Inset sheets are:
Highlighted on the parent sheet with a fill pattern.
Identified with an alpha character such as A.
May contain multi-sheeted images
Identified with an alpha/numeric character such as A1, A2, etc.
Figure 40. Inset Map (Training—Fictitious Information)
To print a PDF small format block map for
updates, select File, then Print, or choose the
printer icon. Use the full size block map for making your updates to
ensure that the correct state, county, census tract, and census
block are shown in the map margin.
You must select legal size,
8 ½ x 14 paper, to ensure optimal scale and use. Return the
printed maps with updates only. Refer to the file
About_the_maps.pdf, for additional printing tips.
Figure 41. Printing Small Format Block Maps (Training—Fictitious Information)
If you have trouble printing, for example, some areas such as water features print black, select Advanced from the print screen.
Figure 42. Advance Printing
Select the ‘Print As Image’ and click OK.
Figure 43. Print As Image
Figure 44. PDF Block Map Example (Training—Fictitious Information)
Reviewing and Updating the Address List and Paper Maps
There are five action codes for making updates to the Census Bureau’s Digital Address List. You can add or make updates to residential addresses only. You must include the appropriate action code with each address record that you add or update. The Census Bureau will only process address records that contain an action code.
A—Add new or missing addresses.
C—Correct this address.
D—Delete this address.
J—Address is not in this jurisdiction.
N—Address is nonresidential.
Use the “A” Action Code to add only residential addresses for your jurisdiction not shown on the Census Bureau’s Address List and to add changed or corrected addresses where the change or correction is not allowed with the “C” action code. To add an address:
Add/Insert a new line or row in the Census Address List.
Enter your entity ID in the ENTITY field. Copy this from your original address list materials.
Enter an “A” in the ACTION field.
Enter the census geocode information for state, county, tract, and block in the STATEFP, COUNTYFP, TRACT, and BLOCK fields.
Note: If you choose, you may enter the optional structure latitude and longitude coordinate information in addition to or rather than the STATEFP, COUNTYFP, TRACT, and BLOCK.
Enter all of the appropriate address information.
Note: Optional—If using the PDF small format paper maps, you may add map spot numbers for new address(es) if you know the approximate location of the structure(s). Begin the map spot numbers within the same block with A1, A2, A3 until each added address is recorded and labeled on the paper map. The maximum character length for this field is four characters. You may reuse the same numbering format for each individual block. Ensure that each unique map spot ID recorded and labeled on the paper map is the correct map spot associated with each address added to the Census Address List.
During your review, you may find addresses missing from the Census Address List located on streets that are partially or entirely missing from the maps. See Figure 46 and Figure 47 for adding new streets to the small format paper maps. Refer to Chapter 5 if you are using shapefiles.
O
lisan
St is a new street with ten newly constructed housing units in census
tract 0054.00, census block 2001. The addresses are missing from the
Census Address List and the street is missing from the map.
The address ranges4F5 for this street are 101 through 109 on the east side of the street and 100 through 108 on the west side of the street.
The address breaks5F6 are between 703 and 705 on Nale Pl and 406 and 408 on Larme Ave.
Figure 45. Example Address Ranges and Address Breaks (Training—Fictitious Information)
Create a new record or start/insert a new row in the Census Address List.
Enter the Entity ID Code in the ENTITY field. Copy this from your original address list materials.
Enter an “A” in the ACTION field.
Enter the required address information in the appropriate fields for each new address:
STATEFP
COUNTYFP
TRACT
BLOCK
Note: If you choose, you may enter the optional structure latitude and longitude coordinate information in addition to or rather than the STATEFP, COUNTYFP, TRACT, and BLOCK.
Note: When using the Census Bureau shapefiles to geocode an address to a Census Tract number, use the Tractlabel attribute field on the curtracts (current tracts) shapefile.
Enter the correct address house number in the HOUSENUMBER field.
Enter the street name in the StreetName field.
Enter the mailing ZIP Code in the ZIP field.
MAPSPOT—Optional: If you are using the small format paper maps, you may add map spot numbers for new address(es) if you know the approximate location of the structure(s). Begin the map spot numbers within the same block with A1, A2, A3 until each added address is recorded and labeled on the paper map. Ensure that each unique map spot ID recorded and labeled on the paper map is the correct maps spot associated with each address added to the Census Address List.
Note: The Census Bureau provided shapefiles do not contain structure points (map spots).
Enter the address use, if known, in the USE field:
M—Mailing purposes.
L—Location purposes, including emergency services, or
B—Both mailing and location purposes.
Enter the structure latitude in the LAT field, if known.
Enter the structure longitude in the LONG field, if known.
See Figure 46. Adding a New Street on the Small Format Paper Map and Figure 47. Adding a New Street and Unique Map Spot Numbers on the Small Format Paper Map.
Using a colored pencil, draw the location of the new street on the map.
Print the street name. In this example, Olisan St.
Print the address ranges for each side of the new street. For this example, 101-109 on the east side of Olisan St and 100-108 on the west side.
Print the address breaks where Olisan St intersects Nale Pl (703-705) and Larme Ave (406-408) as shown in the example.
Figure 46. Adding a New Street on the Small Format Paper Map (Training—Fictitious Information)
Optional: If you know the approximate location of each housing unit you are adding, you may assign each individual address a unique map spot number, A1, A2, A3, A4, etc.
Label each map spot with its associated unique map spot number that you recorded in the MAPSPOT field in the Census Address List beginning with A1, A2, A3, A4 etc.
Figure 47. Adding a New Street and Unique Map Spot Numbers on the Small Format Paper Map (Training—Fictitious Information)
Although adding a group quarters address is similar to adding a housing unit, group quarters addresses require a group quarters name, facility name, and a GQ flag. This example demonstrates how to add a group quarters address that contains three individual buildings.
Aristotle University constructed three new residence halls, Pandora Hall, Buildings 1, 2, and 3 at 225, 227, and 229 Achilles Dr.
Create a new record or start/insert a new row in the Census Address List. For this example, you need to create 3 records for the three new residence halls located at 225 Achilles Dr.
Enter the entity ID code in the ENTITY field. Copy this from your original address list materials.
Enter an “A” in the ACTION field.
Enter the required address information in the appropriate fields for each new address:
STATEFP
COUNTYFP
TRACT
BLOCK
Note: If you choose, you may enter the optional structure latitude and longitude coordinate information in addition to or rather than the STATEFP, COUNTYFP, TRACT, and BLOCK.
Enter a “Y” in the GQ_FLAG field for each unit added.
Note: If you enter a “Y”, you must provide a group quarters name and a facility name if the group quarters are associated with a facility (e.g. Group Quarters Name—Pandora Hall; Facility Name—Aristotle University). The Census Bureau will not process an identified group quarters address record without a group quarters name.
Enter the correct address house number in the HOUSENUMBER field.
Enter the street name in the StreetName field.
Enter the mailing ZIP Code in the ZIP field.
Enter the group quarters name in the GQ NAME field—In this example, Pandora Hall Bldg 1; Pandora Hall Bldg 2, and; Pandora Hall Bldg 3.
Enter the facility name in the FACILITY NAME field—If the group quarters is associated with a facility, provide the facility name. In this example, the facility is Aristotle University.
MapSpot—Optional: If you know the approximate location of each building you are adding, you may assign each building a unique map spot number (e.g., A1, A2, etc.). Each map spot number in the Census Address List must correspond to the building’s location if you are using the small format paper map.
Enter the address use, if known, in the USE field:
M—Mailing purposes.
L—Location purposes, including emergency services, or
B—Both mailing and location purposes.
Enter the structure latitude in the LAT field, if known.
Enter the structure longitude in the LONG field, if known.
See Figure 48. Identifying New GQ Structures with Map Spots on the Small Format Paper Map.
Identifying
New GQ Structures with Map Spots on Small Format MapsOptional: If you know the approximate location of each address you are adding, you may assign each individual address a unique map spot number, A1, A2, A3, etc.
Label each map spot with its associated unique Map Spot ID that you recorded in the Census Address List beginning with A1, A2, A3, etc.
Figure 48. Identifying New GQ Structures with Map Spots on the Small Format Paper Map (Training—Fictitious Information)
You must provide unit identifiers (e.g. Apt 1, Apt 2, Unit A, Unit B) for multiunit buildings. Multiunit buildings include large structures such as a high-rise building, smaller structures such as buildings with 3-4 units, and large houses subdivided into apartments.
A new two-story multiunit building at 2014 Maople Rd contains four apartments, two on the first floor and two on the second floor, in census tract 0054.00, block 1002 that is not listed on the Census Address List.
Create a new record or start/insert a new row in the Census Address List. For this example, you need to create four records for the new multiunit building.
Enter the Entity ID Code in the ENTITY field. Copy this from your original address list materials.
Enter an “A” in the ACTION field.
Enter the required address information in the appropriate fields for each new address:
STATEFP
COUNTYFP
TRACT
BLOCK
Note: If you choose, you may enter the optional structure latitude and longitude coordinate information in addition to or rather than the STATEFP, COUNTYFP, TRACT, and BLOCK.
Enter the correct address house number in the HOUSENUMBER field.
Enter the street name in the StreetName field.
Enter the correct apartment number for each apartment in the ApartmentUnit field
Enter the mailing ZIP Code in the ZIP field.
MAPSPOT—Optional: If you know the approximate location of the building you are adding, you may assign a unique map spot number (e.g., A1, A2, etc.). Each map spot number recorded in the Census Address List must correspond to the building’s location if you are using the small format paper map.
Enter the address use, if known, in the USE field:
M—mailing purposes.
L—location purposes, including emergency services, or
B—both mailing and location purposes.
Enter the structure latitude in the LAT field, if known.
Enter the structure longitude in the LONG field, if known.
See Figure 49, Identifying a New Multiunit Structure on the Small Format Paper Map.
Identifying
a New Multiunit Structure on the Small Format Paper Map
Optional: If you know the approximate location of the multiunit unit structure you are adding, you may assign a unique map spot number, such as A1.
Label the map spot with its associated Map Spot ID that you recorded in the MAPSPOT field in the Census Address List.
Figure 49. Identifying a New Multiunit Structure on the Small Format Paper Map (Training—Fictitious Information)
There are some situations where correcting an address is not permissible. Enter a “C” in the ACTION field on the Census Address List for the following situations only:
Incorrect state code.
Incorrect county code.
Incorrect census tract number.
Incorrect census block number.
Incorrect street name (including street directional and street type information).
Incorrect ZIP Code.
Incorrect structure latitude.
Incorrect structure longitude.
Correcting the location of a street located in an incorrect census block is a two-step process. First, correct affected addresses in the Census Address List using the instructions below then identify the correct location of the street on the map.
The Census Address List shows 100 through 117 S Holdener St, map spots 38-52, as located in census tract 0054.00, block 1003. According to local sources, S Holdener St is located south of Pampas St in census tract 0054.00; census block 1009.
Enter a “C” in the ACTION field.
Replace the incorrect block number with the correct block number in BLOCK field for each address.
Enter the address use, if known, in the USE field:
M—mailing purposes.
L—location purposes, including emergency services, or
B—both mailing and location purposes.
Enter the structure latitude in the LAT field, if known.
Enter the structure longitude in the LONG field, if known.
See Figure 50. Identifying the Location of a Street and its Associated Addresses on the Small Format Paper Map (Training—Fictitious Information) and Figure 51. Identifying the Location of a Street and its Associated Addresses on the Small Format Paper Map with Address Ranges and Address Breaks.
Identifying
the Location of a Street and its Associated Addresses on the Small
Format Paper Map
Using a colored pencil, cross out the incorrect location of S Holdener St with a series of “Xs.” Circle the entire street to include all the affected map spots that need moved with the street.
Redraw S Holdener St in its correct census block, 1009, and print the street name above it.
Draw an arrow to the correct location of S Holdener St.
Figure 50. Identifying the Location of a Street and its Associated Addresses on the Small Format Paper Map (Training—Fictitious Information)
Identifying the Location of a Street and its Associated Addresses on the Small Format Paper Map with Address Ranges and Address Breaks
Optional: At this location, S Holdener St includes an even numbered address range from 100 through 114 on the north and an odd numbered address range from 101 through 117 on the south.
Print the address ranges above and below the S Holdener St.
Print the address breaks where S Holdener St intersects Aldin St between address numbers 101 and 103.
Figure 51. Identifying the Location of a Street and its Associated Addresses on the Small Format Paper Map with Address Ranges and Address Breaks (Training—Fictitious Information)
During your address review, you may find an address (house number/street name) is correct but the structure is located in an incorrect census block.
The Census Address List shows 411 Alexander Blvd located in census tract 0046.00; block 2001. Local sources indicate that 411 Alexander Blvd is located in census tract 0046.00, block 2005.
Enter a “C” in the ACTION field.
In the BLOCK field, enter the correct block number. Be sure to review the Census Tract Number for accuracy.
Optional: If you know the approximate location of the address in the correct block, enter a unique map spot number in the MapSpot field. In this example, the assigned map spot ID is C1, representing a correction.
Indicate the correction on the small format paper map.
See Figure 52. Identifying an Address Located in an Incorrect Block on the Small Format Paper Map.
Identifying an Address Located in an Incorrect Block on the Small Format Paper Map
U
sing
a colored pencil, circle the incorrect map spot of the address. In
this example, 411 Alexander Blvd, map spot 11.
Draw a colored circle to represent the map spot in the correct location.
Arrow down from the incorrect map spot to the correct location.
Figure 52. Identifying an Address Located in an Incorrect Block on the Small Format Paper Map (Training—Fictitious Information)
Incorrect street names in the Census Bureau’s Address List may happen for a variety of reasons. For instance, they may occur when the Census Bureau receives the USPS Delivery Sequence File (DSF)6F7 that contains an incorrect street spelling or as an incorrect entry during Census Bureau field operations.
In this example, the Census Bureau’s Address List and map incorrectly shows Nale Pl instead of Nail St, the correct street name.
Enter a “C” in the Action field for all of the addresses located on the street with the incorrect name.
In the StreetName field, enter the correct name. In this example, Nail St. so that the shapefile update matches the new information on the Census Address List.
Correcting a Street Name on the Small Format Paper Map
Using a colored pencil, cross out the incorrect name, Nale St and print the correct name, Nail St, above it.
Use double hatch marks to show the extent of the name change. In this instance, the entire street needs corrected.
If
there is an alternate street name, print the alternate street name
in parentheses. For example, Nail St
(Co Rd 9).
Figure 53. Correcting a Street Name on the Small Format Paper Map (Training—Fictitious Information)
Similar to the example in Section 4.1.2.3, the Census Bureau’s Address List and map incorrectly show Nale Pl instead of Nail St, the correct street name. Nale Pl (Nail St) extends multiple blocks. The street name needs corrected on each block.
Identify all the addresses located along the incorrect street name for each block affected by the correction.
Enter a “C” in the Action field for all of the addresses located on the street with the incorrect name.
In the StreetName field, enter the correct name. In this example, Nail St.
Correcting a Street Name that Extends Multiple Streets on the Small Format Paper Map
Print all the PDF small format block maps containing the incorrect street name for each block affected by the street name correction.
On each sheet, use double hatch marks to show the extent of the name change.
If there is an alternate street name, print the alternate street name in parentheses.
Enter a “D” in the Action field to delete an address. Be very careful when using this action code. Before deleting an address, ensure that the housing unit or group quarters does not exist, is uninhabitable, is a duplicate address, or needs correction in a field that is not editable. There are situations where a “C” action code is not permissible. In these situations, flag the incorrect record for deletion, “D” action code, and add the correct version of the address record using the “A” action code.
Duplicate addresses are those incorrectly listed twice on the Census Bureau’s Address List for the same residential address. For example, the Census Address List lists 101 Main St and 101 S Main St. Your local address sources indicate that there is a 101 S Main St but no 101 Main St. After confirming that 101 Main St does not exist, you would enter a “D” in the ACTION field for 101 Main St.
You may use the “D” action code for city style, non-city style, and ungeocoded addresses.
Do not make corrections to any other fields on the Census Address List for a deleted address. The following is a list of a few examples using the “D” action code:
Deleting addresses that no longer exist.
Deleting an incorrect house number and adding the corrected address.
Deleting incorrect apartment/unit numbers and adding the corrected addresses.
Deleting a single housing unit converted to a multiunit structure on the Census Address List and adding multiunit address.
Deleting addresses for a multiunit converted to a single housing unit and adding the single housing unit.
Deleting a group quarters address converted to a single housing unit and adding the single housing unit address.
Deleting a single housing unit address converted to a group quarters and adding the group quarters address.
In this example, a section of a street no longer exists and the housing units along this section were demolished. This scenario uses S Holdener St as an example.
A section of S Holdener St in census tract 0054.00, block 1003 no longer exists and the housing units along this section were demolished.
Enter a “D” in the Action field for all of the addresses that need deleted.
Identify the street that no longer exists on the small format paper map.
See Figure 54. Deleting a Section of a Street and Addresses that No Longer Exist on the Small Format Paper Map. If you are using shapefiles, refer to Chapter 5. TIGER Partnership Shapefiles, so that the shapefile update matches the new information on the Census Address List.
D
eleting
a Section of a Street and Addresses that No Longer Exist on the
Small Format Paper Map
Use a colored pencil to “X” out the section of
the street that no longer exists.
Use double hatch marks to define the extent of the deleted segment when deleting only part of the street.
Figure 54. Deleting a Section of a Street and Addresses that No Longer Exist on the Small Format Paper Map (Training—Fictitious Information)
Scenario: Deleting Addresses that No Longer Exist on a Street that No Longer Exists in the Census Address List
In this example, the entire street no longer exists and all of the housing units along the street were demolished.
All of the houses on Landfill St in census tract 0054.00, block 1003 were demolished, and the entire street no longer exists.
Enter a “D” in the Action field for all of the addresses that no longer exist.
Identify the street that no longer exists on the small format paper map.
See Figure 55. Deleting an Entire Street and Addresses that No Longer Exist on the Small Format Paper Map. Deleting an Entire Street and Addresses that No Longer Exist on the Small Format Paper Map
Using
a colored pencil, “X” out the entire street and
put a line through the name.
Figure 55. Deleting an Entire Street and Addresses that No Longer Exist on the Small Format Paper Map (Training—Fictitious Information)
To correct an incorrect house number, you must first delete the incorrect address using the “D” action code, then add the entire corrected address using the “A” action code.
The Census Address List shows seven incorrect house numbers along Ionia Ave, 101 through 113. According to your local sources, the house numbers are actually 2001 through 2013.
Enter a “D” in the Action field for the incorrect house number addresses that need deleted.
Add the address for the correct house number to the Census Address List:
Create a new record or start/insert a new row in the Census Address List. For this example, you need to create seven records to add the correct house numbers.
Enter the Entity ID Code in the ENTITY field. Copy this from your original address list materials.
Enter an “A” in the Action field.
Enter the required information in the appropriate fields for each corrected address:
STATEFP
COUNTYFP
TRACT
BLOCK
Note: If you choose, you may enter the optional structure latitude and longitude coordinate information in addition to or rather than the STATEFP, COUNTYFP, TRACT, and BLOCK.
Enter the correct address house number in the HOUSENUMBER field.
Enter the street name in the StreetName field.
Enter the mailing ZIP Code in the ZIP field.
Enter the address use, if known, in the USE field:
M—Mailing purposes.
L—Location purposes, including emergency services, or
B—Both mailing and location purposes.
Enter the structure latitude in the LAT field. This would be same as the deleted address.
Enter the structure longitude in the LONG field. This would be same as the deleted address.
No map updates are required for this example.
To correct incorrect apartment or unit numbers, use the “D” action code in the ACTION field to delete the entire address. You must enter the correct address and apartment or unit number for each unit using the “A” action as explained in the example.
The Census Address List incorrectly shows the apartment numbers for the 12 apartment, three-story multiunit structure located at 3567 Achilles Dr. The apartment numbers, currently 1 through 12, need to be corrected to 101 through 104 on the first floor, 201 through 204 on the second floor, and 301 through 304 on the third floor.
Enter a “D” in the ACTION field for the addresses with the incorrect apartment numbers that need deleted.
Create a new record or start/insert a new row in the Census Address List. For this example, you need to create 12 records to add the correct apartment numbers.
Enter the entity ID code in the ENTITY field. Copy this from your original address list materials.
Enter an “A” in the Action field.
Enter the required address information in the appropriate fields for each corrected address:
STATEFP
COUNTYFP
TRACT
BLOCK
Note: If you choose, you may enter the optional structure latitude and longitude coordinate information in addition to or rather than the STATEFP, COUNTYFP, TRACT, and BLOCK.
Enter the correct address house number in the HOUSENUMBER field.
Enter the street name in the StreetName field.
Enter the correct apartment number for each apartment in the ApartmentUnit field.
Enter the mailing ZIP Code in the ZIP field.
Enter the address use, if known, in the USE field:
M—Mailing purposes.
L—Location purposes, including emergency services, or
B—Both mailing and location purposes.
Enter the structure latitude in the LAT field. This would be same as the deleted address.
Enter the structure longitude in the LONG field. This would be same as the deleted address.
No map updates are required for this example.
A single housing unit converted to a multiunit structure requires a separate address line for each unit that includes the basic street address and unit identifier for each individual unit. First, use the “D” action code to delete the address then add the address information, including the unit identifier, for each unit.
The single housing unit at 105 Minoan Pkwy recently converted to a multiunit structure containing two apartments, apartments 105 A and 105 B.
Enter a “D” in the Action field for the converted housing unit address, 105 Minoan Pkwy.
Create a new record or start/insert a new row in the Census Address List. In this example, you need two rows.
Enter the entity ID code in the ENTITY field. Copy this from your original address list materials.
Enter an “A” in the Action field.
Enter the required address information in the appropriate fields for each corrected address:
STATEFP
COUNTYFP
TRACT
BLOCK
Note: If you choose, you may enter the optional structure latitude and longitude coordinate information in addition to or rather than the STATEFP, COUNTYFP, TRACT, and BLOCK.
Enter the correct address house number in the HOUSENUMBER field.
Enter the street name in the StreetName field.
Enter the correct apartment number for each apartment in the ApartmentUnit field. In this example, A and B.
Enter the mailing ZIP Code in the ZIP field.
Enter the address use, if known, in the USE field:
M—Mailing purposes.
L—Location purposes, including emergency services, or
B—Both mailing and location purposes.
Enter the structure latitude in the LAT field. This would be same as the deleted address.
Enter the structure longitude in the LONG field. This would be same as the deleted address.
No map updates are required for this example.
Use the “D” action code to delete the addresses for a multiunit structure converted to a single housing unit. Using the “A” action code, add the address for single housing units.
The multiunit structure at 112 Friona Ave that contained four apartments converted to a single housing unit.
Enter a “D” in the ACTION field for the four addresses that need deleted.
Create a new record or start/insert a new row in the Census Address List.
Enter the entity ID code in the ENTITY field. Copy this from your original address list materials.
Enter an “A” in the ACTION field.
Enter the required address information in the appropriate fields for each corrected address:
STATEFP
COUNTYFP
TRACT
BLOCK
Note: If you choose, you may enter the optional structure latitude and longitude coordinate information in addition to or rather than the STATEFP, COUNTYFP, TRACT, and BLOCK.
Enter the correct address house number in the HOUSENUMBER field.
Enter the street name in the StreetName field.
Enter the mailing ZIP Code in the ZIP field.
Enter the address use, if known, in the USE field:
M—Mailing purposes.
L—Location purposes, including emergency services, or
B—Both mailing and location purposes.
Enter the structure latitude in the LAT field. This would be same as the deleted address.
Enter the structure longitude in the LONG field. This would be same as the deleted address.
No map updates are required for this example.
Using the “D” Action Code, delete an address formally used as a group quarters but now converted to a single housing unit. Add the single housing unit address record and flag the address record with an “A” in the action code field.
The group quarters, Almost There Halfway House, converted to a single housing unit.
Enter a “D” in the ACTION field for the group quarters address.
Create a new record or start/insert a new row in the Census Address List.
Enter the entity ID code in the ENTITY field. Copy this from your original address list materials.
Enter an “A” in the ACTION field.
Enter the required address information in the appropriate fields for the corrected address:
STATEFP
COUNTYFP
TRACT
BLOCK
Note: If you choose, you may enter the optional structure latitude and longitude coordinate information in addition to or rather than the STATEFP, COUNTYFP, TRACT, and BLOCK.
Enter the correct address house number in the HOUSENUMBER field.
Enter the street name in the StreetName field.
Enter the mailing ZIP Code in the ZIP field.
Enter the address use, if known, in the USE field:
M—Mailing purposes.
L—Location purposes, including emergency services, or
B—Both mailing and location purposes.
Enter the structure latitude in the LAT field. This would be same as the deleted address.
Enter the structure longitude in the LONG field. This would be same as the deleted address.
No map updates are required for this example.
Using the “D” action code, delete the single housing address. Use the “A” action to add the address for the group quarters and ensure that you enter a “Y” in the GQ_FLAG field and provide the group quarters name in the GQ NAME field. If the group quarters is associated with a facility, provide the facility name in the Facility Name field.
The single housing unit located at 209 Jeffras Dr converted to a group quarters, the Winter County Nursing Facility.
Enter a “D” in the ACTION field for the four addresses that need deleted.
Create a new record or start/insert a new row in the Census Address List.
Enter the entity ID code in the ENTITY field. Copy this from your original address list materials.
Enter an “A” in the ACTION field.
Enter the required address information in the appropriate fields for the corrected address:
STATEFP
COUNTYFP
TRACT
BLOCK
Note: If you choose, you may enter the optional structure latitude and longitude coordinate information in addition to or rather than the STATEFP, COUNTYFP, TRACT, and BLOCK.
Enter a “Y” in the GQ_FLAG field.
Note: If you enter a “Y” in GQ_FLAG field, you must provide a group quarters name in the GQ NAME field and a facility name in the Facility Name field if the group quarters are associated with a facility (e.g. GQ Name—Dobbs Hall; Facility Name—University of Illinois). The Census Bureau will not process an identified group quarters address record without a group quarters name.
Enter the correct address house number in the HOUSENUMBER field.
Enter the street name in the StreetName field.
Enter the mailing ZIP Code in the ZIP field.
Enter the group quarters name in the GQ NAME field.
Enter the facility name, if applicable, in the FACILITY Name field.
Enter the address use, if known, in the USE field:
M—Mailing purposes.
L—Location purposes, including emergency services, or
B—Both mailing and location purposes.
Enter the structure latitude in the LAT field. This would be same as the deleted address.
Enter the structure longitude in the LONG field. This would be same as the deleted address.
No map updates are required for this example.
Enter a “J” in the Action Code field for residential addresses that is not in your jurisdiction. Do not make corrections to any other fields. You may enter a “J” in the Action Code field for city style, non-city style, and ungeocoded addresses that are not in your jurisdiction.
Two housing units at 3526 and 3528 Pueblo Trail are not in your jurisdiction.
Updating the Census Address List:
Enter a “J” in the ACTION field. There are no other corrections needed. No map updates are necessary.
Enter an “N” in the ACTION field for addresses that are listed on the Census Address List but are used for any purpose other than residential such as:
Businesses.
Schools.
Churches.
Government offices.
Note: Before entering an “N” action code, ensure that the structure does not contain a housing unit. Some structures can contain both residential and nonresidential units even though they have a single address such as an apartment over a store or a home with an office. Do not make corrections to any other fields for nonresidential addresses.
You may enter and “N” in the ACTION field for nonresidential city style, non-city style, and ungeocoded addresses.
The housing unit at 202 Cassiopeia Dr is now a business, a nonresidential address.
Updating the Census Address List:
Enter an “N” in the ACTION field. There are no other corrections needed. No map updates are necessary.
The Census Bureau classifies addresses that do not include a house number and/or a street name as non-city style addresses. Non-city style addresses also may include an incomplete house number or street name address. Frequently used non-city style mailing addresses that are included on the Census Bureau’s Address List are:
Physical location description.
Rural route and box number.
Highway contract route and box number.
Non-city style addresses often do not follow any numeric sequence and may not be associated with the name of the street or highway on which they are located. For this reason, the Census Bureau uses different methods to compile the list of addresses for inclusion into the address list, such as a physical location description (BRICK HSE w/ATTACHED GARAGE ON RIGHT), structure points (geographic coordinates), and census geographic codes (state code, county code, census tract number, census block number).
Rural routes and highway contract routes are mailbox delivery routes served by rural carriers to deliver and collect mail from roadside mailboxes. In addition to the route and box numbers, these addresses may also include a complete address number, complete street name, and location description, or any combination used for emergency location services, such as police, fire, and rescue (E-911 addresses). In some instances, the complete address number and box number are identical. In other instances, the rural or highway contract route and box number and the complete address number are different.
Since PO Box numbers and general delivery addresses are mailing addresses only and not associated with a housing unit or housing unit location, the Census Bureau cannot accept them through the LUCA operation.
The most common non-city style addresses on the Census Bureau’s Address List are the physical location description and identifying map spot, and rural route and highway contract route and box numbers. The following instructions provide a few examples of how to add non-city style addresses missing from the Census Address List.
Scenario: Adding Physical Location Description Addresses
The area north of Aca St includes three new housing units. The physical location descriptions and their identifying map spots are missing from the Census Address List and map. These addresses do not have a city style address.
Note: In addition to the required state and county codes, and census tract and block codes, you must provide a well-defined description of the housing unit or group quarters location and identify the approximate location on the paper map. This is the information the enumerator uses to conduct the census at this address.
Adding New Physical Location Description Addresses to the Census Address List:
Create a new record or start/insert a new row for each address in the Census Address List.
Enter the entity ID code in the ENTITY field. Copy this from your original address list materials.
Enter an “A” in the ACTION field.
Enter the required address information in the appropriate fields for the corrected address:
STATEFP
COUNTYFP
TRACT
BLOCK
Note: If you choose, you may enter the optional structure latitude and longitude coordinate information in addition to or rather than the STATEFP, COUNTYFP, TRACT, and BLOCK.
Enter the street name in the StreetName field.
Enter a well-defined description in the Location Description field (up to 100 characters, do not use commas). This is the information the enumerator uses to conduct the census at this address.
Enter the ZIP Code, if known, in the NONCITYSTYLEZIP field.
Enter a unique map spot number in the MAPSPOT field for each address added.
Enter the address use, if known, in the USE field:
M—Mailing purposes.
L—Location purposes, including emergency services, or
B—Both mailing and location purposes.
Enter the structure latitude in the LAT field, if you are not using paper maps.
Enter the structure longitude in the LONG field, if you are not using paper maps.
Identify each new housing unit on the printed copy of the PDF small format paper map (or the large format paper map if no small format block maps were selected) with its corresponding unique map spot number.
Identifying New Physical Location Description Addresses with Unique Map Numbers on the Small Format Block Map
You must provide the approximate location of each address you are adding. You may assign each individual address a unique map spot number, A1, A2, A3, etc.
Label each map spot with its associated unique map spot number that you recorded in Census Address List beginning with A1, A2, A3, etc.
Figure 56. Identifying New Physical Location Description Addresses with Map Spots on the Small Format Paper Map (Training—Fictitious Information)
Scenario: Adding Rural Route and Box Number Addresses
Because rural routes and highway contract routes are mailbox delivery routes served by rural carriers to deliver and collect mail from roadside mailboxes, adding these types of addresses must include additional information to locate the housing unit or group quarters. In addition to the rural route or highway contract number and box number, you must provide:
Map spot on the map, and/or housing unit or group quarters structure latitude and longitude.
And one of the following:
City style address (E-911 address e.g., house number and street name).
Location description.
All of the mailing addresses in Winter County are rural route and box number. Four addresses along Olympus Hwy in tract 0046.00, block 2000, are missing on the Census Address List. These include RR3 Box 289, RR3 Box 290, RR3 Box 293, and RR3 Box 294. This scenario includes a street name, map spot numbers, and the structure latitude and longitude.
Adding Rural Route and Box Number Addresses to the Census Address List
Create a new record or start/insert a new row for each address in the Census Address List.
Enter the entity ID code in the ENTITY field. Copy this from your original address list materials.
Enter an “A” in the ACTION field.
Enter the required address information in the appropriate fields for the address:
STATEFP
COUNTYFP
TRACT
BLOCK
Note: If you choose, you may enter the optional structure latitude and longitude coordinate information in addition to or rather than the STATEFP, COUNTYFP, TRACT, and BLOCK.
Enter the street name in the StreetName field.
Enter the rural route number and the box number in the NONCITYSTYLE ADDRESS field. Do not use commas.
Enter the ZIP Code in the NONCITYSTYLEZIP field.
Enter a unique map spot number in the MAPSPOT field for each address added.
Enter the address use, if known, in the USE field.
M—Mailing purposes.
L—Location purposes, including emergency services, or
B—Both mailing and location purposes.
Enter the structure latitude in the LAT field, if you are not using paper maps.
Enter the structure longitude in the LONG field, if you are not using paper maps.
Identify each new housing unit on the printed copy of the PDF small format paper map (or the large format paper map if no small format block maps were selected) with its corresponding unique map spot number.
Identifying Missing Rural Route and Box Number Addresses with Unique Map Spot Numbers on the Small Format Block Map
Y
ou
must provide the approximate location of each address you are
adding. You may assign each
individual address a unique map spot number, A1, A2, A3, etc.
Label each map spot with its associated unique map spot number that you recorded in the MAPSPOT field on the Census Address List beginning with A1, A2, A3, etc.
Figure 57. Identifying Missing Rural Route and Box Number Addresses with Map Spots on the Small Format Paper Map (Training—Fictitious Information)
The following corrections to non-city style addresses are the same as city style addresses described in Section 4.1.2. Refer to Section 4.1.2 for examples.
Enter a “C” in the ACTION field for the following situations:
Incorrect state code.
Incorrect county code.
Incorrect census tract number.
Incorrect census block number.
Incorrect street name (including street directional and street type information).
Incorrect non-city style ZIP Code.
Incorrect map spot number.
Incorrect structure latitude.
Incorrect structure longitude.
Enter a “D” in the Action Code field to delete an address. Be very careful when using this action code. Before deleting an address, ensure that the housing unit or group quarters does not exist, is uninhabitable, is a duplicate address, or needs corrected in a field that is not editable.
Do not make corrections to any other fields on the Census Address List for a deleted address. The following is a list of a few examples using the “D” Action Code:
Deleting an address that no longer exists, is uninhabitable, or is a duplicate.
Deleting a street or addresses along a street that no longer exists.
Incorrect house number.
Incorrect apartment or unit number.
Deleting an incorrect Non-city Style Mail Delivery Address (RR# or HCR#) and adding the correct address.
Deleting an address for a single housing unit converted to a multiunit structure on the Census Address List and adding multiunit addresses.
Deleting addresses for a multiunit structure converted to a single housing unit and adding the single housing unit address.
Deleting a single housing unit address converted to a group quarters and adding the group quarters address.
Deleting a group quarters address converted to a single housing unit and adding the single housing unit address.
Deleting addresses with incorrect physical location description and adding a record for the corrected location description and map spot.
Updating a Physical Location Description and Map Spot Address
To update a physical location description and map spot address you need to mark the address for deletion and add the updated address to the Census Address List. In addition to the required state and county codes, and census tract and block codes, provide a well-defined description of the housing unit location (up to 100 characters, do not use commas). If the location is the same, reenter the map spot number to the updated address. This is the information the enumerator uses to conduct the census at this address.
Scenario: Deleting a Physical Location Description Address in the Census Address List
Physical location descriptions may change over time for a number of reasons. For instance, structures may be painted different colors, driveway access or surfaces may change, or environmental or landscapes may change.
A section north of Aca St in census tract 0054.00, block 1000 developed over the last several years. The tan trailer identified by map spot number 1, no longer exists. A brown Tutor style house with beige trim and an attached two-car garage replaced the tan trailer.
Enter a “D” in the ACTION field for the location description address that no longer exists.
Adding the Address for the Correct Physical Location Description Address to the Census Address List
Create a new record or start/insert a new row for each address in the Census Address List.
Enter an “A” in the ACTION field.
Enter the required address information in the appropriate fields for the corrected address:
STATEFP
COUNTYFP
TRACT
BLOCK
Note: If you choose, you may enter the optional structure latitude and longitude coordinate information in addition to or rather than the STATEFP, COUNTYFP, TRACT, and BLOCK.
Enter the street name in the StreetName field.
Enter a well-defined description in the Location Description field (up to 100 characters, do not use commas). This is the information the enumerator uses to conduct the census at this address.
Enter the address use, if known, in the USE field:
M—Mailing purposes.
L—Location purposes, including emergency services, or
B—Both mailing and location purposes.
Enter the original map spot number in the MAPSPOT field, if the location is still the same. If the location has changed, assign a new map spot ID and make the appropriate map update.
Enter the structure latitude in the LAT field. This would be same as the deleted address. If the location has changed, enter the new latitude in the LAT field.
Enter the structure longitude in the LONG field. This would be same as the deleted address. If the location has changed, enter the new latitude in the LONG field.
Refer to Section 4.1.3 for additional examples of using the “D” action code.
The Census Bureau’s Address List for state and county participants may contain ungeocoded addresses that are missing census tract and census block codes. Ungeocoded addresses are located at the end of the address list file. You may use the “C,” “D,” “N,” and “J” action codes to include geocodes (census tract and census block) for addresses (C), delete (D) addresses, identify nonresidential (N) addresses, and to identify addresses not in your jurisdiction (J). When entering the “D,” “N,” and “J” action codes make no other entries.
The following scenario describes how to include geocodes for ungeocoded addresses using the “C” action code and identify their location on the map.
To geocode ungeocoded addresses, enter a “C” in the action code field and provide the geocode information for the census tract and census block. If you choose, you may enter the optional structure latitude and longitude coordinate information in addition to or rather than the STATEFP, COUNTYFP, TRACT, and BLOCK.
The Census Address List for Winter County contains several new addresses that are missing geocodes for the census track and census block.
Enter a “C” in the ACTION field.
Enter the required information in the appropriate fields to geocode the addresses, including:
TRACT
BLOCK
Optional: If you know the approximate location of each address, assign a unique map spot number in the MAPSPOT field.
Identifying
Ungeocoded Addresses with Unique Map Spot Numbers on the Small
Format Block Map
If you know the approximate location of each address you are geocoding, you may assign each individual address a unique map spot number, A1, A2, A3, etc.
Label each map spot with its associated unique map spot number that you recorded in the MAPSPOT field on the Census Address List beginning with A1, A2, A3, etc.
Figure 58. Identifying Ungeocoded Address with Unique Map Spot Numbers on the Small Format Paper Map (Training—Fictitious Information)
If you need to add a new street on the map, follow the instructions in Section 4.1.1.1.
Transitory Locations (TLs) are sites that contain movable or mobile housing, or portable housing units, including boats, motorized recreational vehicles (RVs), tents, trailers that are pulled by cars or trucks, or any other type of portable housing used as a living quarters.
The Enumeration of Transitory Locations (ETL) is a census operation designed to provide coverage for enumeration for locations where people live in non-traditional housing that is transient or movable in nature. The types of TLs that are included in the ETL include:
RV parks.
Marinas.
Campgrounds.
Although you may find TLs that are not named on your address list, a few examples of named TL addresses include:
Mermaid’s Marina, 23 South Main Street, 99997.
The Royal Winter Campground, 76 Alexander Blvd, 99997.
Individual addresses at TLs are identified as Transitory Unit (TU) addresses. The MAF may include TU addresses as housing units (HUs). TU addresses identified as HUs pass the address filter as residential housing units and therefore may be included on your Census Address List. Individual TU addresses include:
Pads.
Sites.
Slips.
Units.
Rooms.
Examples of TU addresses include:
Mermaid’s Marina, Slip 63, 23 South Main Street, 99997.
The Royal Winter Campground, Site 234, 76 Alexander Blvd, 99997.
The Census Bureau will not accept individual TU addresses for pads, sites, slips, units, or rooms for the LUCA operation. TU addresses are identified and documented during the ETL.
You may delete an existing TU address if you are certain that the address is a TU or does not exist. Do not make corrections to any other fields on the Census Address List for a deleted address.
Enter a “D” in the Action field for the address(es) that need deletion.
No other action is required.
Updating Transitory Location Addresses
There are several updates you may make to TL addresses including:
Adding missing TL addresses. These include main office addresses only, located at the TL.
Updating incorrect TL addresses by deleting and adding the correct TL address.
Deleting TL addresses that no longer exist or are uninhabitable.
A new RV park, Summer County RV Park, opened at 211 Jeffras Drive. The park rents sites to transitory workers.
Create a new record or start/insert a new row in the Census Address List.
Enter the entity ID code in the ENTITY field. Copy this from your original address list materials.
Enter an “A” in the ACTION field.
Enter the required address information in the appropriate fields for the corrected address:
STATEFP
COUNTYFP
TRACT
BLOCK
Note: If you choose, you may enter the optional structure latitude and longitude coordinate information in addition to or rather than the STATEFP, COUNTYFP, TRACT, and BLOCK.
Enter the correct address house number in the HOUSENUMBER field.
Enter the street name in the StreetName field.
Enter the mailing ZIP Code in the ZIP field.
Enter the TL name in the GQ NAME field.
Enter “TL” in the LOCATION DESCRIPTION field.
If you know the approximate location provide a unique map spot number (e.g., A1) in the MapSpot field. The map spot number in the Census Address List must correspond to the building’s location if you are using the small format paper map. Refer to Figure 49 to add a map spot on the small format paper map.
Enter the address use, if known, in the USE field:
M—Mailing purposes.
L—Location purposes, including emergency services, or
B—Both mailing and location purposes.
Enter the structure latitude in the LAT field, if known.
Enter the structure longitude in the LONG field, if known.
To correct an incorrect TL address, you must first delete the incorrect address using the “D” action code, then add the entire corrected address using the “A” action code.
During your address review, you notice that the main office address for John’s RV Park and Campground listed on the Census Address List is now Sleepy’s RV Resort and Campground. This RV resort and campground continues to rent spaces for transients.
Enter a “D” in the ACTION field for the address that needs correction.
Add the correct address to the Census Address List:
Create a new record or start/insert a new row in the Census Address List.
Copy the original address and paste it into the new row.
Enter an “A” in the ACTION field.
Enter the TL name in the GQ NAME field.
Enter “TL” in the LOCATION DESCRIPTION field.
Enter a unique map spot number (e.g., A1) in the MAPSPOT field if the map spot number is missing from the original address. The map spot number in the Census Address List must correspond to the building’s location if you are using the small format paper map. Refer to Figure 49 to add a map spot on the small format paper map.
Enter the address use, if known, in the USE field:
M—Mailing purposes.
L—Location purposes, including emergency services, or
B—Both mailing and location purposes.
The main office and the campground located at 101 Pampas Place no longer exists.
Enter a “D” in the Action field for the address(es) that needs deletion.
No other action is required.
Save your work often to avoid possible loss of your edits. In addition to saving the file often, you should back up your work each week. In the event of hardware failures and/or software corruption, this process ensures that no more than a week’s worth of work is lost.
When you have finished updating the digital address list file:
Re-sort the entire Census Address List by the “ACTION” field grouping all records with an action code together.
Save only those records that have an entry in the “ACTION” field.
Name the file containing the updated address list with Action Codes only: luca20_<EntityID>_changes_addresses.xxx where xxx is the file extension type such as the comma delimited text extension (.csv or .txt) or Excel (.xls). The <EntityID> is your entity identification code found on your LUCA materials.
Make a copy of your edited files to keep for your records and to use during the Feedback phase of LUCA.
Note: Use caution while re-sorting and ensure the selection of all fields and rows within the Census Address List prior to sorting. Not ensuring all fields and rows are selected will scramble the contents of the Census Address List and may cause irreparable damage.
All digital copies of the Census Address List, as well as paper copies, with or without changes, are Title 13 address information. Keep all copies in a secure location according to the Confidentiality and Security Guidelines.
See Chapter 7. for preparing and submitting your Title 13 materials to the Census Bureau.
TIGER Partnership Shapefiles
As part of the LUCA registration process, the Census Bureau offered LUCA participants the opportunity to choose shapefiles as their product preference map format. The Census Bureau provides county-based Environmental Systems Research Institute7F8 (Esri) shapefiles. The shapefiles, created from the MAF/TIGER system, allow participants to submit map feature updates electronically. Participants that submit shapefiles with feature updates must follow Census Bureau instructions discussed in this chapter.
In order to submit digital feature information, you must have a GIS capable of importing Esri shapefiles, editing the features, and exporting layers back into Esri shapefile format. Subsequent sections within this chapter provide details on these three steps.
The Census Bureau’s TIGER Partnership shapefiles contain numerous sets of shapefiles, but do not contain structure point (map spots) shapefiles. Using GIS, LUCA participants may utilize the “LAT” and “LONG” data from the digital address list to generate structure points. To geocode addresses to the census blocks, the Census Bureau provides a 2010 tabulation block shapefile (tabblock2010). All linear features in the Census Bureau’s MAF/TIGER system are contained in the “edges” shapefile. Participants use the “edges” shapefile to add and delete features as well as change feature attribution. This chapter provides examples of edits to the edges shapefile.
The TIGER Partnership shapefiles provided by the Census Bureau are in the following un-projected geographic-based coordinate system:
GCS_NAD83
Angular Unit: Degree (0.017453292519943299)
Prime Meridian: Greenwich (0.000000000000000000)
Datum: D_North_American_1983
Spheroid: GRS_1980
Semi-major Axis: 6378137.000000000000000000
Semi-minor Axis: 6356752.31414035610000000
Inverse Flattening: 298.257222101000020000
If you selected the digital address list and
digital maps, disc 2 of 2 contains the
non-Title 13 Address
Count List and the TIGER Partnership shapefiles in a folder named
“shape.” Upon completion of the initial setup of
files by launching the executable file to place the contents of the
discs in specific folder you created, open the file and ensure the
file contains the shapefiles for your entity. If your entity spans
more than one county or state, shapefiles for every state and county
that your entity falls within save to the specific folder you created
during the launching of the executable file. If data is missing or
you encounter an error with the files, please immediately contact the
Geographic Partnership Support Desk toll-free at 1-844-344-0169 or
send an email to GEO.2020.LUCA@census.gov.
Please feel free to re-project these shapefiles into your local coordinate system projection; however, the Census Bureau requests you convert the submission back to GCS NAD83 prior to submission. Most GIS software packages contain projection wizards, or something similar, allowing the user to transform file coordinate systems and projections. For example, if your office uses ArcGIS to update files, please activate and utilize ArcGIS’s “Projection Utility Wizard” extension.
TIGER Partnership shapefiles contain defined projection information in the *.PRJ file. Since ArcGIS accesses the *.PRJ file for projection information, there is no need to define these parameters before changing the file coordinate system.
After performing the set up guidelines and reviewing the Census Address List as well as the features in the edges shapefile, if you determine that the Census Bureau needs to add or delete features or modify attribution of features, you must submit your modifications in a separate shapefile.
Note: Although the primary purpose of LUCA is to update the Census Bureau’s Address List, it may be necessary to update spatial features that correspond to address updates. Due to the limited time to provide LUCA updates, participants should focus on providing road updates that impact addresses such as new roads.
To add a new or missing feature, digitize or copy the feature into the edges shapefile and update the MTFCC, FULLNAME, and CHG_TYPE attribution fields.
To move or correct the shape of a feature, first mark the feature for deletion by updating the CHG_TYPE field then add the feature and necessary attribution updates (MTFCC, FULLNAME, and CHG_TYPE) in its proper location. Movement and correction of the shape of a feature is a delete/add scenario.
To mark a feature, or part of a feature, for deletion, update the CHG_TYPE attribution field for the section of edge to delete, but do not delete the actual feature from the shapefile.
In each of these instances, use the appropriate change type code located in the coding scheme as shown in Error: Reference source not found to identify the type of feature modification in the CHG_TYPE field of the edges shapefile. Specific examples of these updates in Section 5.1.3 Change Type Codes and Example of Edges Shapefile Corrections.
Note: The Census Bureau encourages the use of imagery during your review to assist with the proper spatial placement of features.
Table 6 contains a portion of the edges shapefile data dictionary that define important attribute information contained in the edges shapefile. Refer to Error: Reference source not found, Error: Reference source not founds, for a complete layout.
Table 6: Edges Shapefile Data Dictionary
Field |
Length |
Type |
Description |
|
TLID |
10 |
Integer |
Permanent edge ID |
|
MTFCC |
5 |
String |
MAF/TIGER Feature Class Code |
|
FULLNAME |
120 |
String |
Feature name |
|
CHNG_TYPE |
4 |
String |
Type of linear feature update |
|
TLID is the unique TIGER/Line® ID for the feature segment and is not editable. Leave this field blank if adding a new feature.
The MAF/TIGER Feature Class Code or MTFCC identifies the most noticeable characteristic of a feature. This field is required when adding new features. Participants can modify this field if the current MTFCC is incorrect. The MTFCC is a 5-character code. The first character is a letter describing the feature class. For example, S1400 identifies streets and roads. Refer to Appendix K for the MAF/TIGER Feature Classification table.
FULLNAME is the feature name. This field is editable and is required when adding new or missing features.
CHNG_TYPE identifies the type of feature modification. This field is required in order to identify all of the edges with proposed changes. See Table 7 for the change type codes and their descriptions.
This section discusses the three change type codes and provides examples of each. Each update to the edges shapefile must contain one of the three “change type” codes listed in Table 7. Record the change type code within the CHNG_TYPE field in the edges shapefile attribute table for each feature in which an update occurs.
Table 7: Change Type Codes for Feature Corrections
Code |
Description |
AL |
Add Line |
CA |
Change Attribute |
DL |
Delete Line |
ADD LINE
Code—AL
Used to flag a new road feature added to the edges shapefile.
Provide the features name in the FULLNAME field and appropriated feature class code in the MTFCC field.
CHANGE ATTRIBUTE
Change Name
Code—CA
Used to flag a feature to denote a name change.
Provide the feature’s new or corrected name in the FULLNAME field.
Change MTFCC
Code—CA
Used to flag a feature to denote a change to the feature class code (e.g., a local road, S1400, mistakenly coded as a highway, S1200)
DELETE LINE
Code—DL
Used to flag a feature for deletion.
Do not actually delete the feature from the edges shapefile and make no other changes to the feature or attribution.
The following are examples of change type codes for feature additions, deletions, and attribute corrections.
Crystal Ave is a new street. It is missing from the edges shapefile and needs to be added.
Start an Editing session on the edges shapefile.
Open the “Create Features” window in the Editor tool, which you can find under Editing Windows.
Figure 59. Create Features
Click the “Line” under Construction Tools. You will now be able to draw your road.
Figure 60. Line Tool
Digitize the missing street into the edges shapefile. The Census Bureau strongly recommends using imagery (from ArcGIS or local sources) to ensure the accuracy of the road placement and digitizing at an appropriate scale (1:2,400 for instance).
To digitize (in ArcGIS), left click with your mouse at the starting point (node) and draw until the road is complete. Once finished, double left-click the mouse to complete the creation of a new line in the attribute table.
Figure 61. Digitizing a New/Missing Street
In the edges shapefile attribute table:
For the newly created street, enter the appropriate feature class code in the MTFCC field. In this example, S1400 is the correct choice.
Enter Crystal Ave in the FULLNAME field.
Enter AL in the CHNG_TYPE field.
Leave all other fields blank.
Click “Save Edits”, then “Stop Editing” in the Editing Toolbar.
The map and attribute table should resemble the example below:
Figure 62. Map and Attribute Table for Adding a New/Missing Street
Although the street name in the examples may differ, refer to Section 4.1.1.1, Adding New Addresses for a New Street to the Census Address List for instructions on the corresponding address list updates.
The Census Bureau’s address list and shapefile incorrectly identifies a street as Mound Rd rather than Mountain St, the correct street name.
Start an editing session on the edges shapefile.
Select all segments of Mound Rd in the edges shapefile.
In the edges shapefile attribute table:
Edit the FULLNAME field, in this case correcting it from Mound Rd to Mountain St.
Enter CA in the CHNG_TYPE field.
Save your edits.
The map and attribute table should resemble the example below:
Figure 63. Map and Attribute Table for Correcting a Street Name
Although the street name in the examples may differ, refer to Section 4.1.2.3, Correcting an Incorrect Street Name in the Census Address List for instructions on the corresponding address list updates.
A local road, Oak St, is miscoded with a highway feature class code.
Start an editing session on the edges shapefile.
Select all segments of Oak St in the edges shapefile.
In the edges shapefile attribute table:
Change the code in the MTFCC field from S1200 to S1400.
Enter CA in the CHNG_TYPE field.
Save your edits.
The attribute table should resemble the example below:
Figure 64. Attribute Table for Correcting MTFCC
The Census Bureau’s address list and edges shapefile contain Donahue St; however, local sources and knowledge confirm the road and houses were never constructed.
Start an editing session on the edges shapefile.
Select the segment of Donahue St in the edges shapefile that no longer exists.
In the edges shapefile attribute table:
Enter DL in the CHNG_TYPE field for the selected segment of Donahue St that no longer exists.
Save your edits.
The attribute table should resemble the image below:
Figure 65. Attribute Table for Deleting a Road Feature
Although the street name in the examples may differ, refer to Section 4.1.3.1, Scenario: Deleting Addresses that No Longer Exist on a Section of a Street in the Census Address List and Section 4.1.3.2 Scenario: Deleting Addresses that No Longer Exist on a Street that No Longer Exists in the Census Address List for instructions on deleting the addresses from the address list.
.
The Address List and edges shapefile incorrectly show Court St located north of Brass Alley. According to local sources, Court St is located south of Brass Alley. Add Court St in the correct location in the edges layer and mark the incorrect Court St segment for deletion.
Figure 66. Incorrect Location of a Street
Start an editing session on the edges shapefile.
Digitize Court St into the correct location.
Ensure the feature is spatially accurate by utilizing imagery as a reference.
In the edges shapefile attribute table:
For the new, correct feature:
Enter the appropriate MTFCC code for the new street. In this example, S1400 is the correct choice.
Enter Court St in the FULLNAME field.
Enter AL in the CHNG_TYPE field.
Leave all other fields blank.
For the incorrect feature:
Enter DL in the CHNG_TYPE field to flag the incorrect segment(s) of Court St for deletion.
Save your edits.
The map and attribute table should resemble the example below. The line for Court St marked for deletion is above Brass Alley and the newly added line for Court St is below Brass Alley. Both features are visible in the map and attribute table. The CHNG_TYPE field in the attribute table for the incorrect feature is marked with a “DL”, while the correct feature has an “AL.”
Figure 67. Map and Attribute Table for Correcting the Location of a Street
Although the street name in the examples may differ, refer to Section 4.1.2.1, Scenario: Correcting the Location of a Street Located in an Incorrect Census Block in the Census Address List for instructions on the corresponding address list updates.
Below is a summary of the actions in the examples above. Figure 68 displays the updated attribute table.
Crystal Ave added.
Court St added.
Court St feature in the wrong block marked for deletion.
Donahue St marked for deletion.
Mound Rd changed to Mountain St.
The MTFCC value for Oak St corrected.
Figure 68. Summary of Actions
Upon completion of your LUCA review and updates, follow the instructions in this section for preparing your edited shapefile for submission to the Census Bureau. Additional instructions for compiling your entire submission are included in Chapter 7..
Ensure that your edges shapefile has all the desired additions and edits.
Select all of the features with a value in the CHNG_TYPE field of the edges shapefile in order to export the selected features and their attributes into a new shapefile.
Right click on the edges shapefile and select “Data”, then “Export Data”, as shown in the image below.
Figure 69. Export Data Selection
Figure 70. Export Data
Ensure “Selected Features” remains set in the “Export” section of the “Export Data” window.
Name the new shapefile “luca20_<EntityID>_In_changes.shp” where the EntityID is the entity identification code found on your LUCA materials (starts with two letters followed by a series of numbers).
Save the shapefile to an easily accessible location on your computer.
Click “OK” to export the shapefile.
The newly exported LUCA submission shapefile should resemble the map and attribute table below, only containing the edited features.
Figure 71. Edited Road Features for Submission
Generating Structure points with ArcGIS
The U.S. Census Bureau will supply participants choosing the Digital Address List product preference with a .csv file containing all of the known addresses for a given entity. Many of these addresses will have latitude and longitude values in the corresponding fields (see Table 3: Digital Address List Record Layout in Chapter 2.).
Note: Title 13 protects the Census Bureau’s address list and used only for reference during your LUCA review. You must destroy any shapefiles created based on the Census Bureau’s address list must after the LUCA operation is complete.
Follow the steps below to import the address list into ArcGIS to create points to compare the Census Bureau’s addresses with your own address points.
In ArcGIS, right click “Layers” in the Table of Contents and select “Add Data.”
Figure 72. Selecting Layers in ArcGIS
Navigate to the folder where you address list (in .csv format) is located.
Add to your MXD by clicking “Add”.
Figure 73. Add Address Data
In ArcGIS, right click the .csv file in the Table of Contents.
Select “Display XY Data.”
Figure 74. Display XY Data
Use the drop down menus for the X and Y Fields to select the correct longitude and latitude fields in your address list, where the X field represents the longitude and the Y field represents the latitude.
Click “Edit” button to change the Coordinate System to NAD (North American Datum) 1983, if not shown in the Description section of the window.
Figure 75. X and Y Fields
Search for “GCS_North_American_1983” and select “NAD 1983.” Choose the “Geographic Coordinate Systems” folder, then the “North America” folder. Next select “NAD 1983.” Click “OK” to select the coordinate system.
Figure 76. Selecting NAD 1983
The “Display XY” Data screen displays again. Once you confirm that everything is set up properly, click “OK” on the “Display XY Data” screen to complete the action and dismiss the window.
Figure 77. Display XY Data Screen
After the “Display XY Data” window closes, the warning message shown below appears indicating the lack of the Object-ID field in the newly created file. In order to link the spatial points to the attributes, export the newly created point layer to a new shapefile in order to select, query, or perform edits on the shapefile.
Figure 78. Warning Message
After selecting “OK” to dismiss the “Table Does Not Have Object-ID Field” warning message, ArcGIS generates an “Events” shapefile of the address points on your map corresponding to the longitude and latitude of each address in the address list that contains values in those fields. Please note, not all records in the Census Address List contain coordinate information.
If the address points do not appear correctly located for your jurisdiction, then prior to performing the next steps, check to see if the LAT and LONG fields are correct. The X is the LONG and the Y is the LAT. Perform the “Display XY Data” step again to correct the points if they do not display properly.
After the XY data “Events” shapefile loads into your MXD, right click the file name, select “Data,” then select “Export Data.” Next click “OK.”
Figure 79. “Events” Shapefile
In the “Export Data” window, you can change the directory location and file name for the soon-to-be generated shapefile by choosing the folder icon in the “Output feature class” section and clicking “Save.”
Once the “Output feature class” is correct, click “OK.”
Figure 80. Export Data Confirmation
An ArcGIS window asks whether you “want to add the exported data to the map as a layer.” Select “Yes.” The data should now load into the MXD.
Delete the “Events” shapefile from the MXD Table of Contents.
Performing the additional “Export Data” step links the attribution to the spatial elements of the file so proper queries and selections can occur. The blue highlighted row in the attribute table now highlights the corresponding map spot on the map.
Figure 81. Corresponding Address and Map Spot Highlighted
You can follow the steps above for loading your own address point spreadsheet data to compare the two datasets spatially and determine if there are areas where the Census Bureau is missing map spots; and therefore, may be missing residential addresses.
Submitting Your Updated Materials
After completing your review and update of the LUCA materials, return only those materials with updates to the National Processing Center at the address shown in Figure 82. Please include or submit the Inventory Form for the Return/Submission of Materials (D-2011) with your updated LUCA materials. Follow the procedures for shipping Title 13 materials discussed in this chapter and referenced in Appendix A, the Confidentiality and Security Guidelines (D-2004).
If after your review, you determined that the Census Address List is correct and you have no address updates, please complete the form letter D-2079 included with your LUCA materials and return it in the enclosed postage-paid, preaddressed envelope. If you select that you do not want to receive LUCA Feedback materials you must destroy or return all Title 13 address and map materials according to the procedures outlined in the Confidentiality and Security Guidelines in Appendix A.
Methods for Submissions
There are two methods for submitting your updated LUCA materials:
Secure Web Incoming Module (SWIM):
You may submit your zipped digital address list updates and/or shapefiles through SWIM, the official web portal for uploading partnership materials to the Census Bureau. See Section 7.6 for specific instructions on using SWIM.
Shipping:
You may ship your zipped digital address list updates, shapefile updates, and/or updated, printed PDF paper maps to the Census Bureau. Please follow the procedures outlined in the following sections to ensure the protection of Title 13 materials.
If any issues arise with your LUCA submission, the Census Bureau will attempt to contact you to resolve or clarify the issues. Unless there is clarification prior to the LUCA deadline, the Census Bureau will not incorporate your updates into the MAF/TIGER database. Your updates are temporary until the verification operation provide confirmation.
Navigate to the directory where you saved your address changes file as explained in Chapter 4., Section 4.5.
Note: The Census Bureau cannot accept files submitted via email, nor can we retrieve files from a FTP site. Participants must create a CD/DVD for shipment to the Census Bureau or must use the SWIM to post the files to ensure a secure transfer of information.
Zip the luca20_<EntityID>_ changes _ addresses.xxx (where xxx is the file extension type such as the comma delimited text extension (.csv or .txt) or Excel (.xls)) and name it luca20_<EntityID>_changes_addresses_return.zip.
Password protect this file as part of the zip process using the case sensitive password provided to you for your original materials. If you have misplaced the password, contact the Geographic Partnership Support Desk toll free at 1-844-344-0169 for assistance. The Census Bureau cannot email passwords.
Save the file to a CD or DVD.
To return the printed PDF small format block maps and any large format paper maps with updates to the Census Bureau:
Separate the map sheets with updates from those without updates.
Make a copy of all map sheets containing updates to keep for your records to use during the Feedback phase of LUCA scheduled to occur in August/September 2019.
Return only those map sheets containing updates.
Note: All address list copies and maps with map spots are Title 13, U.S.C. address information. Keep all copies in a secure location. Follow the confidentiality and security guidelines for both paper and digital security.
Navigate to the directory where you saved your shapefile changes file.
Zip the luca20_<EntityID>_In_changes.shp and all associated metadata and component file (.cpg, .dbf, .prj, .sbx, .shx, .shp, etc.) and name it: luca20_<EntityID>_ln_changes_return.zip. There is no need to password protect this file because it does not contain any Title 13 information.
Note: Participants using Esri software should utilize ArcCatalog to ensure the necessary file components are bundled in the zip file appropriately. Participants using another GIS software must ensure all of the components are included in the zip file for accurate processing once received at the Census Bureau
You may save the file to the same CD/DVD as your address list if you are shipping your submission.
If you are shipping your updated LUCA materials, please complete the D-2011 Inventory Form for the Return/Submission of Materials you received in your LUCA materials package and include it with your returned materials. A copy of the form is included in Appendix H and is available for download on the LUCA Web site at <http://www.census.gov/geo/partnerships/luca.html>.
If you are submitting your updated Census Address List and/or shapefiles through SWIM, the fillable the D-2011 Inventory Form for the Return/Submission of Materials PDF form is included on your digital file discs as LUCA20_inventory.pdf. When you open this file:
Complete the Entity ID and Government Name sections.
Indicate which updated address list, maps, and submission method you are using (i.e., SWIM or Mail).
If you are using SWIM, save and zip the form and name it luca20_<EntityID>_inventory_return.zip. Include the form with your SWIM submission.
If you are shipping any or all of your materials submission, you may use this form. Print the completed form and enclose it with your materials.
Include the D-2011 Inventory Form for the Return/Submission of Materials.
Ship the Title 13 materials, double wrapping them using an inner and an outer envelope (or container), one within the other. These should be durable enough to prevent someone from viewing or tampering with the enclosed material.
Label both sides of the inner envelope (or container) with the notice:
“DISCLOSURE PROHIBITED BY Title 13, U.S.C.”
Place the inner envelope (or container) into the outer envelope.
Use the mailing label that was included with the mail-out materials. If you have misplaced the mailing label, contact the Geographic Partnership Support Desk toll free at 1-844-344-0169 for assistance.
If you do not use the mailing label, ship using a service that provides tracking information, such as U.S. Postal Service trackable delivery, FedEx, United Parcel Service (UPS), or similar service. Retain the tracking number as proof of delivery.
Figure 82. Mailing Envelopes
You may submit your zipped digital address list file updates and/or shapefiles through SWIM, the official web portal for uploading partnership materials to the Census Bureau. Be sure to include your completed, zipped D-2011 Inventory Form for the Return/Submission of Materials. The size limit for a SWIM upload of a zip file is 250 MB.
If you do not have a SWIM Account, you need the 12-digit registration token provided to you by the Census Bureau for your registration. Follow the instructions in Steps 2 through 5 to register for your SWIM account.
Table 8: SWIM Submission
Step |
Action and Result |
Step 1 |
If you are a participant in another Census Bureau partnership program and already have a SWIM Account, access <https://respond.census.gov/swim/> and enter your email address and password. Then click the Login button. The Welcome screen opens. Go to Step 7.
|
Step 2 |
If you do not yet have a SWIM Account, have the 12-digit registration token provided to you by the Census Bureau ready for your registration. You can register at <https://respond.census.gov/swim/>. Once the login screen opens, click the Register Account button. The Account Registration screen opens.
|
|
All fields on the Account Registration screen are required. You will not be able to move to the next screen until you have completed all fields. |
Step 3 |
On the Account Registration screen, first, enter the 12-digit token provided by the Census Bureau. Then enter your name, agency, and email in the appropriate fields. |
Step 4 |
Next, create a password. The passwords must meet the five criteria below:
|
Step 5 |
Set up a security question (click the arrow on the right of the Security Question box and select a question in the drop-down list, then enter an answer in the Answer box). When you have finished, click the Submit button. A screen opens to confirm that you have successfully registered.
|
Step 6 |
On the Confirmation screen, click ‘Login’. You will return to the login screen.
|
Step 7 |
On the Login screen, enter your email and password then click the green Login button. The Welcome screen opens. You will see the list of files you have previously uploaded, the creation date of the file, the name of the file, and its corresponding zip size. If you need to make modifications, click on the file you want to edit then select the Start Now Upload button.
|
Step 8 |
To begin an upload, click the Start New Upload button. A screen opens asking What Census program you are reporting data for?. Click the Local Update of Census Addresses Program (LUCA) radio button then click the Next button at the bottom of the screen.
|
Step 9 |
A screen opens asking What type of LUCA entity are you are reporting for?. Click the radio button next to the entity type you are reporting for then click the Next button. This example shows the radio button selected for a Place.
|
Step 10 |
When you select a place, the next screen asks you to select a State from a drop-down menu then select the place you are reporting for from the place drop-down menu. Select Next.
|
Step 11 |
The Select a .zip file to upload screen opens. Choose a zip file to upload. Note: all files must be a zip file. To upload a file, click the + Add File button on the screen.
|
Step 12 |
The Choose File to Upload window opens and allows you to navigate on your computer to the zip file’s location.
Locate the zip file you want to upload then double-click it. Note: You can only add one file at a time. |
Step 13 |
Once the file upload is complete, the Status field shows ‘Success.’ The name of the file appears in the File(s) field. To add another file, click the + Add File and the upload process will repeat. In this example, there are three files uploaded. One for an updated digital address list, one for an updated shapefile, and the Invenotry Form for the Return/Submission of Materials.
|
Step 14 |
After you have uploaded the file(s), type any comments (including pertinent information about data projection or supporting documentation for shapefiles) in the Comments field. Click Next. |
Step 15 |
The Thank You screen appears and confirms the receipt of your submission.
|
Step 16 |
To submit files for a different entity, click on the ‘Upload Form’ link in the phrase “You may Log Out or return to the upload form, to submit more files.” This choice returns you to the Welcome screen. To log out, click on Log Out. The Census Bureau will acknowledge the receipt of the uploaded file. |
|
SWIM sessions deactivate after 15 minutes of inactivity. Note: While working in SWIM, you may obtain help by clicking on the Help button on any screen. When you click the button, a screen opens with links to help resources.
|
Next Steps
Congratulations on the completion of your 2020 LUCA review. While this is a major first step, this does not conclude your LUCA participation, unless you do not wish to receive feedback. Once the Census Bureau receives your submission, we will process your files for validation. After validation concludes, the Census Bureau prepares the LUCA feedback materials for shipment to you in summer of 2019.
If you agree with the Census Bureau’s feedback materials, then your LUCA participation ends. The Census Bureau begins outreach to close out the LUCA operation and confirm the destruction or return of all Title 13 materials. The Census Bureau must receive a signed Destruction or Return of Title 13 Materials Form (D-2012) which confirms your destruction (preferred method) or return of the Title 13 materials as required by law. This form was included with your original LUCA materials but is also included in this respondent guide as Appendix I. The Confidentiality and Security Guidelines (D-2004) in Appendix A outlines the process for both the destruction (preferred method) and the return of Title 13 materials.
If you disagree with the results of the Census Bureau’s validation of your submission, you have 45 days from the receipt of the feedback materials to notify the LUCA Appeals Office, managed by the Office of Management and Budget (OMB), of your disagreement. They will work with you and the Census Bureau to resolve all disagreements. After a determination to accept or reject disputed addresses by the Appeals Office, the Census Bureau includes addresses accepted by the Appeals Office into the 2020 Census enumeration universe. Once the appeals process concludes, you must destroy or return to the Census Bureau your Title 13 materials and submit a signed Destruction or Return of Title 13 Materials Form (D-2012) as required by law. Filing an appeal is optional and is not a requirement of the LUCA operation.
This Page Intentionally Left Blank
This Page Intentionally Left Blank
Confidentiality and Security Guidelines
Federal law, under Title 13 of the United States Code (U.S.C.), requires the U.S. Census Bureau to maintain the confidentiality of the information it collects. The Census Bureau takes this responsibility very seriously. Respondents place their trust in the Census Bureau each time they complete a survey or an interview. This trust in confidentiality is critical to the success of the Census Bureau’s mission to collect and report the most accurate data possible. To uphold the law, the Census Bureau requires that any individuals with access to Title 13 materials adhere to the prescribed confidentiality and security guidelines.
Chapter 1, Section 9 of Title 13, U.S. Code states: “Neither the Secretary, nor any other officer or employee of the Department of Commerce or bureau or agency thereof, or local government census liaison, may, except as provided in section 8 or 16 or chapter 10 of this title….
Use the information furnished under the provisions of this title for any purpose other than the statistical purposes for which it is supplied; or
Make any publication whereby the data furnished by any particular establishment or individual under this title can be identified; or
Permit anyone other than the sworn officers and employees of the Department or bureau or agency thereof to examine the individual reports.”
In 1994, under Public Law 103-430, the U.S. Congress amended Chapter 1 of Title 13 to allow the local government census liaison to review and update the Census Bureau’s address information for their jurisdiction. Although the amendment allows official local government access, the amendment reaffirmed the confidential nature of the Census Bureau’s address information. Census information protected under Title 13 includes:
Everything on a completed or partially completed questionnaire or any information obtained in a personal or telephone interview.
Individual addresses maintained by the Census Bureau, including those shared with governments through the 2020 Census Local Update of Census Addresses Operation (LUCA).
Digital or paper maps with latitude/longitude coordinate data that identify the location of living quarters (structure points).
The penalty for the wrongful disclosure or release of information protected by Title 13 is a fine of not more than $250,000 or imprisonment for not more than 5 years, or both, as set by Section 214 of the Code and the Uniform Sentencing Act of 1984.
Title 13 U.S.C. does not apply to generalized address information, such as address range data available in the Census Bureau’s digital products or address counts by census block.
To participate in LUCA, a government must designate a LUCA liaison. The LUCA liaison, LUCA reviewers, and anyone with access to Title 13 materials must sign the Confidentiality Agreement. The Census Bureau will not deliver LUCA materials to a participant until we have received the completed and signed Confidentiality Agreement and the Confidentiality and Security Checklist.
The Census Bureau’s Title 13 data, including addresses and latitude/longitude coordinate data (structure points), cannot be used to create, update, nor modify a tribal, state, or local jurisdiction’s address list or database.
A signature on the Confidentiality Agreement constitutes a legal agreement by each individual to keep confidential Census Bureau Title 13 data and abide by the security guidelines outlined below. While access to Title 13 materials is temporary, the commitment to keep the information confidential is effective for a lifetime.
The LUCA liaison accepts the responsibility for protecting and safeguarding the LUCA materials. The liaison must restrict access to the Census Bureau’s information covered under Title 13 to those individuals who have signed the Confidentiality Agreement.
Operating systems, programs, applications, and data are collectively referred to as Information Technology (IT) systems in this document. Any IT systems used for LUCA participation must be accessible only to those who have signed the Confidentiality Agreement. Your IT systems should restrict the read, write, and delete functions to all Title 13 materials.
Construct electronic security profiles to allow only the LUCA liaison and the LUCA reviewers to access Title 13 materials. Test your security to ensure that access is restricted.
Use file encryption and passwords to protect all digital Title 13 materials at all times. Encrypt files using the Advanced Encryption Standard (AES) with key length of 256 bits.
Do not leave computers with Title 13 materials unattended. Log-off computers, lock terminals, and lock the room when not in use.
Label all digital media and every printed page of any paper materials produced from Title 13 digital media with the following:
“This document contains information, the release of which is prohibited by Title 13, U.S.C., and is for U.S. Census Bureau official use only. Wrongful
disclosure or release of information can be punished by fine or imprisonment (Public Law 99-474).”
Do not send backup digital media off-site. Store in a secured area. Do not mix, store, or back-up LUCA data with other data.
Clear dedicated digital media containing Title 13 materials before reuse. Overwrite Title 13 digital data minimally three times using a commercial disk utility program.
Do not disclose precise or even anecdotal information about Census Bureau addresses or locations to anyone who has not signed the Confidentiality Agreement.
The IT systems must use logon routines that require a user-ID and password that conform to the following guidelines:
Unique user-ID and password required for the LUCA liaison, the LUCA reviewers, and anyone who has signed the Confidentiality Agreement.
Must consist of at least twelve, nonblank characters consisting of at least one alphabet letter and either one number or one special character (for example: $,*, or &).
Reject passwords that are the same as the user-ID or that have been used within the last six months.
Disable passwords after three failed attempts.
Mask passwords.
Require password changes every 90 days or immediately, if compromised.
Require user to change an assigned password to a unique password the first time the user accesses a new account.
Do not leave Title 13 materials unattended. Secure all Title 13 materials in a locked room. If possible, store Title 13 materials in locked desks or cabinets.
Copy only the Title 13 materials necessary to complete the LUCA review. Do not leave the copy machine unattended while making copies. All copied materials containing Title 13 information must bear the statement:
“This document contains information, the release of which is prohibited by Title 13, U.S.C., and is for U.S. Census Bureau official use only. Wrongful disclosure or release of information can be punished by fine or imprisonment (Public Law 99-474).”
Do not disclose precise or even anecdotal information about Census Bureau addresses or locations to anyone who has not signed the Confidentiality Agreement.
If you discover that any Title 13 materials have been viewed by unauthorized persons or are missing from your inventory, you must:
Contact the Census Bureau through the Census Incident Response Team (CIRT) at (301) 763-3333 within 24 hours. You must provide the following information:
Jurisdiction Name.
Date and time of the incident.
Name of the contact person.
Phone number of contact person.
Site address of incident.
Immediately secure all remaining materials. Prohibit any further access, by anyone, including the LUCA liaison and anyone who signed the Confidentiality Agreement. Census Bureau staff will contact your office within 48 hours with information on how to proceed.
The Census Bureau may make an on-site visit to review a participant’s security procedures. The Census Bureau will strive not to disrupt office operations. A visit may include a review of:
Storage and handling of Title 13 materials.
Employee access to Title 13 materials.
Physical safeguard of stored Title 13 materials.
IT Systems, including use of passwords.
Employee awareness of their responsibilities to Title 13 materials.
After the entire LUCA operation has concluded, all Title 13 materials must be destroyed (preferred method) or returned according to the Census Bureau’s specific guidelines. The LUCA liaison is required to verify the destruction or return of any Title 13 materials, both paper and digital, including all paper copies, backup files, etc., by signing and returning the Destruction or Return of Title 13, U.S.C. Materials form. In addition, anyone who signed the Confidentiality Agreement is required to sign this form once their participation in LUCA has ended. Should any liaison, reviewer, or anyone who signed the Confidentiality Agreement leave before the completion of LUCA, they must sign and date this form. If any liaison, reviewer, or anyone who signed the Confidentiality Agreement is unable to sign and date the form, the current liaison must sign and date on their behalf.
Only individuals who signed the Confidentiality Agreement are permitted to destroy Title 13 materials:
Never deposit Title 13 materials in a trash or recycle container, or dispose of information in a landfill before destruction procedures are completed.
Destruction must prevent recognition or reconstruction of paper or digital Title 13 materials. Use one of the following methods:
Shredding or pulping.
Chemical decomposition.
Pulverizing (such as, hammer mills, choppers, etc.).
Burning (facility approved by the Environmental Protection Agency).
Clear dedicated digital media containing Title 13 materials before reuse. Overwrite Title 13 digital data minimally three times using a commercial disk utility program.
Clearing or sanitizing all print servers and multi-function printing or scanning devices with stored images or print files containing Title 13 data.
Destroying CDs and DVDs using a shredder or other method suitable for rendering them un-usable.
Note: Hand tearing is an unacceptable method of Title 13 material disposal before destruction.
See the National Institute of Standards and Technology, Special Publication 800-88, Revision 1, Guidelines for Media Sanitization for further information on acceptable methods for digital media and office equipment sanitization. <http://nvlpubs.nist.gov/nistpubs/SpecialPublications/NIST.SP.800-88r1.pdf>
After the entire LUCA operation has concluded, all Title 13 materials must be destroyed (preferred method) or returned according to the Census Bureau’s specific guidelines. If you decide to return the Title 13 materials rather than destroying them, follow these guidelines:
Ship the Title 13 materials, double-wrapping them by using an inner and an outer envelope (or container), one within the other. These should be durable enough to prevent someone from viewing or tampering with the enclosed material.
Label both sides of the inner envelope (or container) with the notice:
“DISCLOSURE PROHIBITED BY Title 13, U.S.C.”
Place the inner envelope (or container) into the outer envelope.
Use the mailing label that was included in the initial mail-out of materials. If you have misplaced the mailing label, please contact the Census Bureau to have a replacement label sent to you.
Include with the returned materials, a signed D-2012-Destruction or Return of Title 13, U.S.C. Materials Form. Ensure that all reviewers and anyone with access to the Title 13 LUCA materials signs this form.
If you do not use the mailing label, ship using a service that provides tracking information, such as U.S. Postal Service trackable delivery, FedEx, United Parcel Service (UPS), or similar service.
Figure 83. Mailing Envelopes
The Large Format Paper Map Legend
T
he
map legend describes the various symbols and colors used on the paper
maps. The legend is divided into three columns:
The Symbol Description field includes the type of features, boundaries, and geography shown on the map.
The Symbol field shows the symbols representing the feature in the symbol description.
The Name Style field shows an example of the name of a particular feature such as a road, waterway, or geographic area displayed on the map.
Boundaries
The first group of symbols in the legend refers to different boundary types or geographic area shown on the map. Each type of boundary has a distinct color or symbol.
Transportation
The second group of symbols represents various types of transportation features. Thicker lines identify major roadways such as interstates and U.S. highways while thinner lines represent secondary roads and city streets. Also identified are cul-de-sacs and circles. Jeep trails, walkways, stairways, and ferries, represented by distinctive dashed lines, are included in this section.
Other Features
The third group of symbols represents other feature types such as pipelines and streams and nonvisible boundaries. Streams and shorelines are blue and geographic offset and corridors are speckled red.
Landmarks
The last group of symbols represents various landmarks on the map such as rivers and lakes, glaciers, airports, cemeteries, golf courses, jails, military installations, parks, and mountain peaks. The area outside of the subject area is speckled gray.
Footnotes and Notes
The footnote and notes section of the legend provide additional information and details on geographic relationships, boundaries, and symbols.
Figure 84: Legend
The
PDF Small Format Block Map Legend
The PDF Block Map Legend contains much of the same information as the paper map legend.
The Symbol Description field includes the type of features, boundaries, and geography shown on the map.
The Symbol field shows the symbols representing the feature in the symbol description.
The Name Style field shows an example of the name of a particular feature such as a road, waterway, or geographic area displayed on the map.
Figure 85: Small Format Block Map Legend
Physical Location Description and Street Type Abbreviation Examples
Full Name |
|
Alternate Route |
ALT |
Avenue |
AVE |
Blue |
BL |
Boulevard |
BLVD |
Brown |
BRN |
Boarded Up |
BU |
Circle |
CIR |
County Highway |
CO Hwy |
County Road |
CO Rd |
Court |
CT |
Drive |
DR |
East |
E |
Four-Wheel Drive Trail |
4WD |
Freeway |
FWY |
Green |
GR |
General Delivery |
GEN DEL |
Hospital |
HOSP |
Highway Contract Route |
HCR |
House |
HSE |
Interstate |
I |
Intersection |
INT |
Lane |
LN |
North |
N |
Parkway |
PKWY |
Post Office Box |
PO BOX |
Road |
RD |
Route |
RTE |
Rural Route |
RR |
South |
S |
Star Route |
ST RT |
State Highway |
ST HWY |
State Road |
ST RD |
State Route |
ST RTE |
Street |
ST |
Thoroughfare |
THFR |
Township Highway |
TWP HY |
Township Road |
TWP RD |
West |
W |
White |
WHT |
Yellow |
YLW |
With |
W/ |
For additional physical location descriptions and street type abbreviations see https://pe.usps.com/text/pub28/28apc_002.htm.
Unit Designation Abbreviation Examples
Table 10: Unit Designation Abbreviations
Name |
Abbreviation |
Apartment |
APT |
Basement |
BSMT |
Bottom |
BOTM |
Building |
BLDG |
Downstairs |
DOWN |
Floor |
FLR |
Front |
FRNT |
Interior |
INTE |
Level |
LVL |
Lower |
LOWR |
Middle |
MIDL |
Mobile Home |
MH |
Number |
# |
Penthouse |
PH |
Room |
RM |
Right |
RGHT |
Space |
SP |
Studio |
STUD |
Suite |
STE |
Suites |
STES |
Trailer |
TRLR |
Upper |
UPPR |
Upstairs |
UPS |
For additional unit designation abbreviations see https://pe.usps.com/text/pub28/28apc_003.htm.
Confidentiality Agreement Form
Inventory Form for the Return or Submission of LUCA Materials
This Page Intentionally Left Blank
Destruction or Return of Title 13 Materials Form
Contact Information Update Form
MAF/TIGER
Feature Classification
Table 11: MAF/TIGER Feature Classification
MTFCC |
Feature Name |
S1100 |
Interstate Highway or Primary Road with limited access |
S1200 |
Primary Road without limited access, US Highway, State Highway, or County Highway, Secondary and connecting roads |
S1400 |
Local Neighborhood Road, Rural Road, City Street |
S1500 |
Vehicular Trail (4WD) |
S1630 |
Ramp |
S1640 |
Service Drive usually along a limited access highway |
S1710 |
Walkway/Pedestrian Trail |
S1720 |
Stairway |
S1730 |
Alley |
S1740 |
Private Road for service vehicles (logging, oil fields, ranches, etc.) |
S1750 |
Private Driveway |
H3010 |
Stream/River |
H3013 |
Braided Stream |
H3020 |
Canal, Ditch or Aqueduct |
R1011 |
Railroad Feature (Main, Spur, or Yard) |
R1051 |
Carline, Streetcar Track, Monorail, Other Mass Transit Rail |
R1052 |
Cog Rail Line, Incline Rail Line, Tram |
P0001 |
Nonvisible Legal/Statistical Boundary |
L4010 |
Pipeline |
L4020 |
Power Transmission Line |
L4110 |
Fence Line |
L4121 |
Ridge Line |
L4031 |
Aerial Tramway/Ski Lift |
K2451 |
Airport or Airfield |
L4140 |
Property/Parcel Line |
L4165 |
Ferry Crossing |
Shapefile Names
State Shapefiles Names
PVS_17_v2_<layername>_<SS>.shp, where <SS> is the number corresponding to the state, for example, “24” and <layername> is the abbreviation for the shapefile layer, describe in detail below.
Table 12: State Shapefiles Names
Shapefile Layer |
<layername> |
American Indian Areas (AIA) – Legal |
aial |
2010 American Indian Areas (AIA) – Legal |
aial2010 |
American Indian Areas (AIA) – Statistical |
aias |
American Indian Tribal Subdivisions (AITS) - Legal |
aitsl |
American Indian Tribal Subdivisions (AITS) - Statistical |
aitss |
Block Area Group |
bag |
Metropolitan Statistical Area/Metropolitan Statistical Area |
cbsa |
Congressional Districts |
cd |
Census Designated Place |
cdp |
Counties and Equivalent Areas |
county |
2010 Counties and Equivalent Areas |
county2010 |
Elementary School Districts |
elsd |
County Subdivisions - Legal |
mcd |
New England City and Town Areas |
necta |
Incorporated Places |
place |
2010 Public Use Microdata Areas |
puma2010 |
Secondary School Districts |
scsd |
State Legislative Districts Lower |
sldl |
State Legislative District Upper Chambers |
sldu |
State |
state |
Tribal Block Groups |
tbg |
Tribal Census Tracts |
tct |
2010 Census Tracts |
tracts2010 |
Urban Area |
uac |
Unified School District State-Based |
unsd |
County Shapefile Names
PVS_17_v2_<layername>_<SSCCC>.shp, where <SSCCC> is the number corresponding to the state and county, for example, “24001” and <layername> is the abbreviation for the shapefile layer, describe in detail below.
Table 13: County Shapefiles Names
Shapefile Layer |
<layername> |
American Indian Areas (AIA) – Legal |
aial |
American Indian Areas (AIA) – Statistical |
aias |
American Indian Tribal Subdivisions (AITS) - Legal |
aitsl |
American Indian Tribal Subdivisions (AITS) - Statistical |
aitss |
Alaska Native Regional Corporations (ANRC) |
anrc |
Area Landmark |
arealm |
Block Area Groups |
bag |
Block Groups |
bg |
Metropolitan Statistical Area/Metropolitan Statistical Area |
cbsa |
Census County Division |
ccd |
Congressional Districts |
cd |
Census Designated Place |
cdp |
Consolidated Cities |
concity |
Counties and Equivalent Areas |
county |
Census Tracts - Current |
curtracts |
All Lines |
edges |
Elementary School Districts |
elsd |
Hawaiian Home Lands (HHL) |
hhl |
County Subdivisions - Legal |
mcd |
New England City and Town Areas |
necta |
Offsets |
offset |
Incorporated Places |
place |
Point Landmarks |
pointlm |
2010 Public Use Microdata Areas |
puma2010 |
Secondary School Districts |
scsd |
State Legislative Districts Lower |
sldl |
State Legislative Districts Upper |
sldu |
Subbarrios |
submcd |
Census Blocks - Current |
tabblock |
2010 Census Blocks |
tabblock2010 |
2010 Traffic Analysis Delineation |
tad2010 |
2010 Traffic Analysis Zones |
taz2010 |
Tribal Block Groups |
tbg |
Tribal Census Tracts |
tct |
2010 Census Tracts |
tracts2010 |
Census Urban Areas |
uac |
Urban Growth Area |
uga |
Hydrography - Area |
water |
Unified School Districts |
unsd |
Relationship Tables |
|
Address Ranges |
addr |
Topological Faces (2-cells with all geocodes) |
faces |
Topological Faces - Area Landmark Relationship |
areafaces |
Topological Faces - Area Hydrography Relationship |
hydrofaces |
Linear Feature Names - Fielded |
allnames |
Shapefile Layouts
Table 14: Edges Shapefile (PVS_17_v2_edges)
ATTRIBUTE FIELD |
LENGTH |
TYPE |
DESCRIPTION |
STATEFP |
2 |
String |
FIPS state code |
COUNTYFP |
3 |
String |
FIPS county code |
TLID |
10 |
Double |
Permanent edge ID |
TFIDL |
10 |
Double |
Permanent face ID (left) |
TFIDR |
10 |
Double |
Permanent face ID (right) |
MTFCC |
5 |
String |
MAF/TIGER Feature Class Code |
FIDELITY |
1 |
String |
Indication to a respondent when their entity boundary has changed through spatial enhancement |
FULLNAME |
40 |
String |
Decoded feature name with abbreviated qualifier, direction, and feature type |
SMID |
22 |
String |
Spatial Theta ID |
SMIDTYPE |
1 |
String |
SMIDTYPE code |
BBSPFLG |
1 |
String |
Redistricting data project participant’s submitted request of an EDGE for selection as a block boundary |
CBBFLG |
1 |
String |
Indicates the status of an EDGE for a selection as a block boundary |
BBSP_2020 |
1 |
String |
New BBSP flag |
CHNG_TYPE |
4 |
String |
Type of linear feature update |
JUSTIFY |
150 |
String |
Justification of change |
LTOADD |
10 |
String |
Left To address |
RTOADD |
10 |
String |
Right To address |
LFROMADD |
10 |
String |
Left From address |
RFROMADD |
10 |
String |
Right From address |
ZIPL |
5 |
String |
Left zip code |
ZIPR |
5 |
String |
Right zip code |
EXTTYP |
1 |
Char |
Extension type |
MTUPDATE |
10 |
Date |
Date of last update to the edge |
Table 15: Address Ranges Attribute File (PVS_17_v2_addr)
ATTRIBUTE FIELD |
LENGTH |
|
TYPE |
DESCRIPTION |
OID |
8 |
|
STRING |
Object ID |
TLID |
22 |
|
Integer |
TIGER Line ID |
STATEFP |
2 |
|
String |
FIPS State Code |
COUNTYFP |
3 |
|
String |
FIPS County Code |
FROMHN |
12 |
|
String |
From House Number |
TOHN |
12 |
|
String |
To House Number |
SIDE |
1 |
|
String |
Side Indicator Flag |
ZIP |
5 |
|
String |
5-digit ZIP Code |
PLUS4 |
4 |
|
String |
ZIP+4 Code |
LFROMADD |
10 |
|
String |
Left From Address |
LTOADD |
10 |
|
String |
Left To Address |
RFROMADD |
10 |
|
String |
Right From Address |
RTOADD |
10 |
|
String |
Right To Address |
ZIPL |
5 |
|
String |
Left 5-digit ZIP Code |
ZIPR |
5 |
|
String |
Right 5-digit ZIP Code |
ZIP4L |
4 |
|
String |
Left ZIP+4 Code |
ZIP4R |
4 |
|
String |
Right ZIP+4 Code |
Table 16: Census Block Shapefile (PVS_17_v2_tabblock2010)
ATTRIBUTE FIELD |
LENGTH |
TYPE |
DESCRIPTION |
BLKSZIND |
1 |
String |
Block Size Indicator |
BLOCK |
4 |
String |
Block Number |
BLOCKCE |
4 |
String |
Tabulation Block Number |
BLOCKID |
15 |
String |
FIPS State Code, FIPS County Code, Census Tract Code, Block Number |
COUNTYFP |
3 |
String |
Census County FIPS code |
COUNTYFP10 |
3 |
String |
FIPS County Code |
FID |
10 |
Integer |
Permanent Face ID |
NCELIGBLE |
1 |
String |
New Construction Program eligible |
PARTFLG |
1 |
String |
Part Flag Indicator |
Shape |
7 |
String |
Type of shape |
STATEFP |
2 |
String |
Census state FIPS code |
STATEFP10 |
2 |
String |
FIPS State Code |
SUFFIX1CE |
2 |
String |
Census Block Suffix 1 |
SUFFIX2CE |
2 |
String |
Census Block Suffix 2 |
TRACTCE10 |
6 |
String |
Census tract code |
Table 17: Census Tract Shapefile (PVS_17_v2_curtracts)
ATTRIBUTE FIELD |
LENGTH |
TYPE |
DESCRIPTION |
CHNG_TYPE |
2 |
String |
Type of area update |
COUNTYFP |
3 |
String |
FIPS County Code |
EFF_DATE |
8 |
String |
Effective Date or Vintage |
FID |
10 |
Integer |
Permanent Face ID |
JUSTIFY |
150 |
Char |
Justification |
NAME |
100 |
String |
Name |
NEW_CODE |
2 |
String |
New Congressional District Code |
RELATE |
120 |
String |
Relationship Description |
Shape |
7 |
String |
Type of shape |
STATEFP |
2 |
String |
FIPS State Code |
TRACTCE |
6 |
String |
Census Tract Code |
TRACTID |
11 |
String |
FIPS State Code, FIPS County Code, Census Tract Code |
TRACTLABEL |
7 |
String |
Tract number used for LUCA geocoding |
TRACTTYP |
1 |
String |
Tract Characteristic Flag |
VINTAGE |
2 |
String |
Vintage updated with returned data |
Table 18: American Indian Areas Shapefile (PVS_17_v2_aial)
ATTRIBUTE FIELD |
LENGTH |
TYPE |
DESCRIPTION |
AIANNHCE |
4 |
String |
Census AIANNH Code |
AIANNHFSR |
1 |
String |
Flag Indicating Level of Recognition of an AIA |
AIANNHNS |
8 |
String |
ANSI numeric identifier for AIA areas |
AREA |
10 |
Double |
Acreage of Area Update |
AUTHTYPE |
1 |
String |
Authorization Type (O – Ordinance, R – Resolution, L – Local Law, S – State Level Action, X – Other) |
CHNG_TYPE |
2 |
String |
Type of Area Update |
CLASSFP |
2 |
String |
FIPS 55 Class Code Describing an Entity |
COMPTYP |
1 |
String |
Indicates if Reservation, Trust Land, or both are Present |
COUNTYFP |
3 |
String |
FIPS County Code |
DOCU |
120 |
String |
Supporting Documentation |
EFF_DATE |
8 |
Date |
Effective Date |
FID |
10 |
Integer |
Permanent Face ID |
FORM_ID |
4 |
String |
(MTPS and Web BAS Only) |
FUNCSTAT |
1 |
String |
Functional Status |
JUSTIFY |
150 |
Char |
Justification |
LSAD |
2 |
String |
Legal / Statistical Area Description |
NAME |
100 |
String |
AIA name |
NAMELSAD |
100 |
String |
Name with Translated LSAD |
PARTFLG |
1 |
String |
Part Flag Indicator |
RELATE |
120 |
String |
Relationship description |
Shape |
7 |
String |
Type of shape |
STATEFP |
2 |
String |
FIPS State Code |
VINTAGE |
2 |
String |
Vintage of the Data |
Table 19: County and Equivalent Areas Shapefile (PVS_17_v2_county)
ATTRIBUTE FIELD |
LENGTH |
TYPE |
DESCRIPTION |
STATEFP |
2 |
String |
FIPS state code |
COUNTYFP |
3 |
String |
FIPS county code |
COUNTYNS |
8 |
String |
ANSI feature code for the county or equivalent feature |
NAMELSAD |
100 |
String |
Name with translated LSAD code |
LSAD |
2 |
String |
Legal/Statistical Area Description code |
FUNCSTAT |
1 |
String |
Functional status |
CLASSFP |
2 |
String |
FIPS 55 class code describing an entity |
CHNG_TYPE |
2 |
String |
Type of area update |
EFF_DATE |
8 |
Date |
Effective date or vintage |
AUTHTYPE |
1 |
String |
Authorization type (O – Ordinance, R – Resolution, L – Local Law, S – State Level Action, X – Other) |
DOCU |
120 |
String |
Supporting documentation |
FORM_ID |
4 |
String |
Record ID (GUPS only) |
AREA |
10 |
Double |
Area of update |
RELATE |
120 |
String |
Relationship description |
JUSTIFY |
150 |
String |
Justification of change |
NAME |
100 |
String |
Entity name |
VINTAGE |
2 |
String |
Vintage of the data |
Table 20: County Subdivisions Shapefile (PVS_17_v2_mcd)
ATTRIBUTE FIELD |
LENGTH |
TYPE |
DESCRIPTION |
STATEFP |
2 |
String |
FIPS state code |
COUNTYFP |
3 |
String |
FIPS county code |
COUSUBFP |
5 |
String |
FIPS 55 county subdivision code |
NAMELSAD |
100 |
String |
Name with translated LSAD |
COUSUBNS |
8 |
String |
ANSI feature code for the county subdivision |
LSAD |
2 |
String |
Legal/Statistical Area Description |
FUNCSTAT |
1 |
String |
Functional status |
CLASSFP |
2 |
String |
FIPS 55 class code describing an entity |
CHNG_TYPE |
2 |
String |
Type of area update |
EFF_DATE |
8 |
Date |
Effective date or vintage |
AUTHTYPE |
1 |
String |
Authorization type (O – Ordinance, R – Resolution, L – Local Law, S – State Level Action, X – Other) |
DOCU |
120 |
String |
Supporting documentation |
FORM_ID |
4 |
String |
Record ID (GUPS only) |
AREA |
10 |
Double |
Area of update |
RELATE |
120 |
String |
Relationship description |
JUSTIFY |
150 |
String |
Justification of change |
NAME |
100 |
String |
Entity name |
VINTAGE |
2 |
String |
Vintage of the data |
Table 21: Incorporated Place Shapefile (PVS_17_v2_place)
ATTRIBUTE FIELD |
LENGTH |
TYPE |
DESCRIPTION |
STATEFP |
2 |
String |
FIPS state code |
COUNTYFP |
3 |
String |
FIPS county code |
PLACEFP |
5 |
String |
FIPS 55 place code |
NAMELSAD |
100 |
String |
Name with translated LSAD |
PLACENS |
8 |
String |
ANSI feature code for the place |
LSAD |
2 |
String |
Legal / Statistical Area Description |
FUNCSTAT |
1 |
String |
Functional status |
CLASSFP |
2 |
String |
FIPS 55 class code describing and entity |
PARTFLG |
1 |
String |
Indicates if only part of a feature is represented |
CHNG_TYPE |
2 |
String |
Type of area update |
EFF_DATE |
8 |
Date |
Effective date or vintage |
AUTHTYPE |
1 |
String |
Authorization type (O – Ordinance, R – Resolution, L – Local Law, S – State Level Action, X – Other) |
DOCU |
120 |
String |
Supporting documentation |
FORM_ID |
4 |
String |
Record ID (GUPS only) |
AREA |
10 |
Double |
Area of update |
RELATE |
120 |
String |
Relationship description |
JUSTIFY |
150 |
String |
Justification of change |
NAME |
100 |
String |
Entity name |
VINTAGE |
2 |
String |
Vintage of the data |
Glossary
Address breaks—Address breaks identify the city style addresses on each side of a boundary or at an intersection of street with another street or another feature.
Address Count List—Identifies the number of housing unit addresses and group quarters addresses on the Census Bureau’s Address List for each census block within a jurisdiction.
Address range—The lowest and highest address numbers used to identify structures along each side of a street segment that has city style addresses. Usually one side of the street has even address numbers and the other side has odd address numbers.
Block to Map Sheet Relationship List—A list identifying census block numbers and the Census Bureau large format map(s) on which each block is located.
Boundary—A line, on a map, either invisible or coincident with a visible feature that identifies the extent of a geographic entity, such as a census tract, city, county, or state. A boundary marks the limits of an area.
Census Address List—The Census Bureau’s Address List, extracted from the Master Address File (MAF) for review and update during 2020 LUCA, contains all the residential addresses (city style and non-city style) known to the Census Bureau for your government. It also contains census geographic codes (state, county, census tract, census block) that indicate the location of each address. Many addresses also contain latitude and longitude coordinates depicting the address location.
Census block—A census block is an area bounded by visible and/or invisible features shown on Census Bureau maps. A census block is the smallest geographic area created by the Census Bureau for which it collects and tabulates decennial census data. Census blocks are numbered within census tracts and are uniquely numbered within census tracts.
Census block number—Census block numbers are a 4-digit number plus up to two alpha character suffix, if applicable, e.g. 3001A or 2002AA. Suffixes, boundary changes as well as added features within the given block that split the original block.
Census Bureau—An agency within the U.S. Department of Commerce. The U.S. Census Bureau is the country's preeminent statistical collection and dissemination agency. It publishes a wide variety of statistical data about people and the economy of the nation. The Census Bureau conducts approximately 200 annual surveys and conducts the decennial census of the United States population.
Census Bureau map—Any map produced by the Census Bureau. A Census Bureau map displays geographic entities used in a Census Bureau sponsored census or survey for which the Census Bureau tabulates data.
Census tract—A small, relatively permanent statistical subdivision of a county or statistically equivalent entity delineated for data presentation. Designed to be relatively homogeneous units with respect to population characteristics, economic status, and living conditions at the time of establishment, census tracts generally contain between 1,000 and 8,000 people, with an optimum size of 4,000 people. Delineated with the intention of being stable over many decades, census tract boundaries generally follow relatively permanent visible features. However, they may follow governmental unit boundaries and other invisible features in some instances; the boundary of a state or county (or statistically equivalent entity) is always a census tract boundary.
Census tract number—Unique numbers to identify census tracts within a county or statistically equivalent entity. Census tract numbers are a 4-digit number followed by a decimal point and a 2-digit number for suffixed tracts, e.g., 1234.01. For census tracts without a suffix, the number will contain a period with zero fill, e.g., 4567.00.
City style address—The Census Bureau’s definition of a city style address is an address consisting of a house number and street or road name. For example, 201 Main Street is a city style address. The address may or may not be used for the delivery of mail and may include apartment numbers/designations or similar identifiers.
Confidentiality—The guarantee made by law (Title 13, United States Code) to individuals who provide information about themselves or their business to the Census Bureau. This item refers to the Census Bureau’s promise of nondisclosure of that information to others.
County—The primary legal division of most states. Most are governmental units with powers defined by state law.
Edges shapefile—All linear features in the MAF/TIGER database are contained in the edges shapefile.
Enumeration at Transitory Locations (ETL) operation—Provides coverage for locations where people live in non-traditional housing that is transient or movable in nature. Most census questionnaires are mailed, or hand-delivered by census personnel, to known addresses in the Census Master Address File (MAF). However, due to changes in society, some people no longer maintain a traditional residence (house, apartment, condo, etc.), and have decided to live in boats, motorized recreational vehicles (RVs), trailers that are pulled by car or trucks, or any other type of housing that is movable or mobile, including tents. For operational purposes, we refer to these as ‘portable housing units.’
The type of Transitory Locations (TLs) that are included in the ETL are:
Recreational (RV) parks.
Marinas.
Campgrounds.
Feature—Any part of the landscape, whether natural (such as, a stream or ridge) or man-made (such as a road or power line). In a geographic context, features are any part of the landscape portrayed on a map, including nonvisible boundaries of legal entities, such as city limits or county lines.
Federal Information Processing Series (FIPS)—These are codes formerly known as Federal Information Processing Standards codes, until the National Institute of Standards and Technology (NIST) announced its decision in 2005 to remove geographic entity codes from its oversight. The Census Bureau continues to maintain and issue codes for geographic entities covered under FIPS oversight, albeit with a revised meaning for the FIPS acronym. Geographic entities covered under FIPS include states, counties, congressional districts, core based statistical areas, places, county subdivisions, sub-minor civil divisions, consolidated cities, and all types of American Indian, Alaska Native, and Native Hawaiian areas. FIPS codes are assigned alphabetically according to the name of the geographic entity and may change to maintain alphabetic sort when new entities are created or names change. FIPS codes for specific geographic entity types are usually unique within the next highest level of geographic entity with which a nesting relationship exists. For example, FIPS state, congressional district, and core based statistical area codes are unique within nation; FIPS county, place, county subdivision, and sub-minor civil division codes are unique within state. The codes for American Indian, Alaska Native, and Native Hawaiian areas also are unique within state; those areas in multiple states will have different codes for each state.
Geocodes—Codes that place an individual address in its correct geographic location, which, in census terms, includes the correct state, county, census tract, and census block codes. Because the Census Bureau counts people where they live, geocodes provide information to Census enumerators for locating an address. Accurate geocoding also ensures the Census Bureau counts housing units, and the people associated with them, in the correct census geography.
Geographic Information System (GIS)—A computer system for the storage, retrieval, and maintenance of information about the points, lines, and areas that represent the streets and roads, rivers, railroads, geographic entities, and other features on the surface of the Earth-information that previously was available only on paper maps.
Geographic Update Partnership Software (GUPS)—A self-contained GIS update and processing package provided by the Census Bureau for participation in a variety of Census geography programs, including 2020 LUCA. Pre-packaged to include all of the components for 2020 LUCA, the GUPS contains the Census Bureau’s Address List, address count list, and TIGER partnership shapefiles. GUPS allows the participant to add external geospatial data (shapefiles, geodatabases, and imagery) for comparison and update purposes. Delivery of all data (software, address list, address count list and shapefiles) is on DVD.
Governmental unit (GU)—A geographic entity established by legal action for the purpose of implementing specified governmental functions. Most governmental units provide a number of general government services and raise revenues (usually through taxing authority).
Group quarters (GQ)—A place where people live or stay normally owned or managed by an entity or organization providing housing and/or services for the residents. These services may include custodial or medical care as well as other types of assistance, and residency is commonly restricted to those receiving these services. People that live in a group quarters are usually not related. Group quarters include such places as college residence halls, residential treatment centers, skilled nursing facilities, group homes, military barracks, correctional facilities, workers’ dormitories, and facilities for people experiencing homelessness.
Highest elected official (HEO)—The person most responsible for the governmental activities of a local government. This person receives the LUCA Program invitation letter, and must designate a LUCA liaison, to participate in the 2020 LUCA Operation.
Housing unit (HU)—A single-family house, townhouse, mobile home, trailer, apartment, group of rooms, or a single room occupied as a separate living quarters or, if vacant, intended for occupancy as a separate living quarters. A separate living quarters is one in which one or more occupants (or intended occupants, if vacant) live separate from any other individual(s) in the building and have direct access to the living quarters without going through another living quarters, such as from outside the building or through a common hall.
Living quarters—Any site where people live, stay, or could live. Living quarters are classified as housing units or group quarters. They are usually found in structures intended for residential use, but also may be found in structures intended for nonresidential use as well as tents, vans, shelters for people without housing, dormitories, barracks, and so forth, or they might not be associated with a structure at all.
LUCA liaison—A person appointed by the highest elected official (HEO) of each jurisdiction to review the Census Bureau’s Address List and maps against local records to identify differences. This person is also known as the program primary liaison or designated liaison.
MAF/TIGER Database—The Census Bureau’s nationwide geographic database, which integrates the Master Address File (MAF) and Topologically Integrated Geographic Encoding and Referencing (TIGER) files.
Master Address File (MAF)—The Census Bureau’s nationwide database of all addresses and physical/location descriptions known to the Census Bureau used to support many of the Census Bureau’s operations. Besides containing mailing addresses and ZIP Codes, a MAF record also contains geographic information about the location of addresses. The Census Bureau’s Geography Division regularly updates the MAF/TIGER Database from various sources, including the United States Postal Service (USPS) Delivery Sequence File (DSF) and other sources of updates such as current surveys and locally provided sources.
Metadata—Describes the data content, coordinate system/projection, author, source, and other characteristics of GIS files.
Minor civil division (MCD)—A type of governmental unit that is the primary governmental or administrative subdivision of a county in many states. MCDs are identified by a variety of terms, such as town (in 8 states), township, and/or district, and include both functioning and nonfunctioning governmental entities.
Non-city style address—An address that does not have a house number and/or street name or may not include a complete house number and street name address. This includes rural route and box number address and highway contract route addresses, etc., which may include a box number, post office boxes and drawers, and general delivery.
Occupied housing unit—A housing unit is classified as occupied if it is the usual place of residence of the individual or group of persons living in it at the time of enumeration or if the occupants are only temporarily absent; for example, away on vacation. Occupied rooms or suites of rooms in hotels, motels, and similar places are classified as housing units only when occupied by permanent residents, that is, individuals for whom the facility is their usual place of residence.
Place—A concentration of population either legally bound as an incorporated place or identified by the Census Bureau as a census designated place.
Regional Office—One of six permanent Census Bureau offices distributed across the nation. Regional offices are responsible for the Census Bureau’s field operations.
Shapefile—Digital representations of geographic features, such as roads and boundaries used to create maps. A shapefile stores non-topological geometry and attribute information for the spatial features in a dataset. The Census Bureau provides county-based shapefiles in Environmental Systems Research Institute (Esri) shapefile format.
Street segment—The portion of a street or road between two features that intersect that street or road, such as other streets or roads, railroad tracks, streams, and governmental unit boundaries. The Census Bureau records the known address ranges for every street segment with city style addresses.
Structure Point (map spot)—A dot on a Census Bureau map, used to show the location of one or more living quarters. A maximum of 4-digits plus one alpha character is assigned within a census block to each structure point. Structure points are stored in the TIGER database and are protected by Title 13 U.S.C.
Topologically Integrated Geographic Encoding and Referencing (TIGER)—The Census Bureau’s digital map, including the geographic coordinates and names of streets, water features, other linear features, and boundaries for all jurisdictions and statistical areas that provide the geospatial framework for collecting and tabulating census data. TIGER also contains the structure coordinates of address records in the Master Address File (MAF) and address ranges along street features used for geocoding MAF records to census geography.
Transitory locations (TL)—Movable or mobile housing, or portable housing units, including boats, motorized recreational vehicles (RVs), tents, trailers that are pulled by cars or trucks, or any other type of portable housing.
Vacant housing unit—A habitable structure containing living quarters that is not occupied. New housing units not yet occupied are classified as vacant housing units if construction has reached a point where exterior windows and doors are installed and final usable floors and a roof are in place. Vacant units are excluded if they are open to the elements, or if there is positive evidence, such as a sign on the house, that the housing unit is to be demolished or has been condemned.
1 A structure point is a coordinate location that represents the location of one or more housing units and/or group quarters. Structure points are protected by Title 13, U.S.C. See Appendix A, Confidentiality and Security Guidelines.
2 A census tract is a small, relatively permanent statistical division of a county or statistically equivalent entity, delineated for the purpose of presenting Census Bureau statistical data.
3 A census block is a geographic area bounded by visible features, such as streets, roads, streams, and railroad tracks, and invisible features, such as the boundaries of governmental units and other legal entities. Census blocks are the smallest area for which the Census Bureau collects and tabulates statistical information.
4The Census Bureau does not endorse or recommend the use of any specific software to view its files. The program names included here are only examples of programs that are able to read digital files.
5 Address ranges are the lowest and highest address numbers used to identify structures along each side of a street segment that has city style addresses. Usually one side of the street has even address number and the opposite side has odd address numbers.
6 Address breaks are the city style addresses on each side of a boundary or at an intersection of a street with another street or feature.
7 A computerized file containing all delivery point address serviced by the USPS. The USPS updates the DSF continuously as its letter carriers identify addresses for new delivery points or changes in the status of existing addresses.
8 All shapefiles provided by the Census Bureau are in Environmental Systems Research Institute (Esri) format. The use of brand names does not represent an endorsement of a company or its products by the U.S. government. Due to the wide use of Esri products by our partners in the GIS community, and ubiquitous use of the shapefile format as a medium for GIS data exchange, the Census Bureau provides data in shapefile format.
| File Type | application/vnd.openxmlformats-officedocument.wordprocessingml.document |
| File Title | 2020 LUCA Respondent Guide - Digital Address List Format |
| Author | U.S.Census Bureau |
| File Modified | 0000-00-00 |
| File Created | 2021-01-21 |